Benvenuto Ospite

Forum Entomologi Italiani

www.entomologiitaliani.net/forum
 
Oggi è 17/11/2025, 9:41

Tutti gli orari sono UTC + 1 ora [ ora legale ]

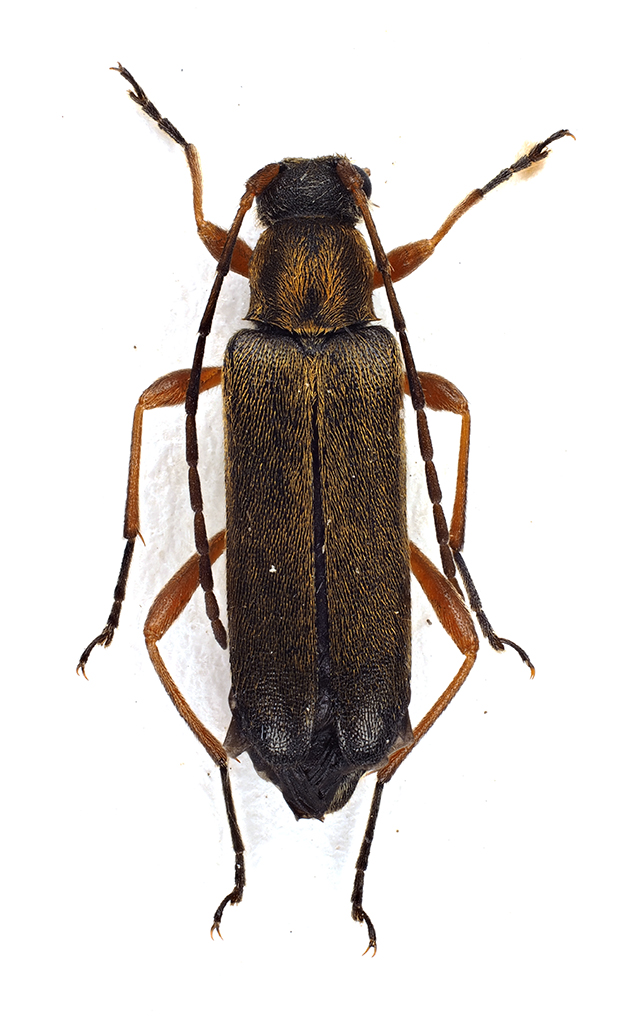
Grammoptera ustulata (Schaller, 1783) Dettagli della specie

VI.2021 - ITALIA - Marche - MC, Torricchio


nuovo argomento
rispondi
Pagina 1 di 1 [ 1 messaggio ]
Autore Messaggio
MessaggioInviato: 09/12/2021, 23:05 
Avatar utente

Iscritto il: 10/05/2009, 15:30
Messaggi: 7182
Località: Ancona
Nome: Giacomo Giovagnoli
Grammoptera ustulata (Schaller, 1783)

Torricchio (Macerata); 06/27.VI.2021; trappola aerea

[grazie zio per le foto!!! :birra: ]

Dimensioni: 8mm
Comb3457cr-28zL6.jpg


Comb3458cr-56zL6.jpg



Ciao :)

_________________
Immagine Giacomo


Top
profilo
Visualizza ultimi messaggi:  Ordina per  
nuovo argomento
rispondi
Pagina 1 di 1 [ 1 messaggio ]

Tutti gli orari sono UTC + 1 ora [ ora legale ]


Chi c’è in linea

Visitano il forum: Google [Bot] e 12 ospiti


Non puoi aprire nuovi argomenti
Non puoi rispondere negli argomenti
Non puoi modificare i tuoi messaggi
Non puoi cancellare i tuoi messaggi
Non puoi inviare allegati

Cerca per:
Vai a: