Benvenuto Ospite

Forum Entomologi Italiani

www.entomologiitaliani.net/forum
 
Oggi è 17/11/2025, 6:44

Tutti gli orari sono UTC + 1 ora [ ora legale ]

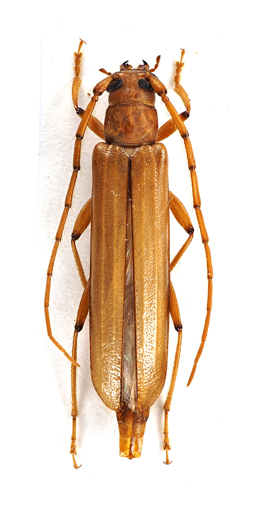
Malacopterus pavidus (Germar, 1824) - Cerambycidae

10.XII.1988 - BRASILE - EE, Cascate dell'Iguazù


nuovo argomento
rispondi
Pagina 1 di 1 [ 2 messaggi ]
Autore Messaggio
MessaggioInviato: 07/01/2022, 21:03 
Avatar utente

Iscritto il: 10/05/2009, 15:30
Messaggi: 7182
Località: Ancona
Nome: Giacomo Giovagnoli
Chi è?

Cascate dell'Iguazù (Brasile); 10.XII.1988; lg. A. Pergolini

[grazie zio per le foto!!! :birra: ]

Dimensioni: 29mm
Comb3501cr-7zL3.jpg


Comb3502cr-27zL3.jpg



Ciao :)

_________________
Immagine Giacomo


Top
profilo
 Oggetto del messaggio: Re: Cerambycidae da ID
MessaggioInviato: 23/01/2022, 19:56 
Avatar utente

Iscritto il: 10/05/2009, 15:30
Messaggi: 7182
Località: Ancona
Nome: Giacomo Giovagnoli
Aleksei Kovalev (AetherisIgnis) :birra: mi suggerisce femmina di Malacopterus pavidus (Germar, 1824).
http://bezbycids.com/byciddb/wdetails.asp?id=974&w=n

Ciao :)

_________________
Immagine Giacomo


Top
profilo
Visualizza ultimi messaggi:  Ordina per  
nuovo argomento
rispondi
Pagina 1 di 1 [ 2 messaggi ]

Tutti gli orari sono UTC + 1 ora [ ora legale ]


Chi c’è in linea

Visitano il forum: Nessuno e 12 ospiti


Non puoi aprire nuovi argomenti
Non puoi rispondere negli argomenti
Non puoi modificare i tuoi messaggi
Non puoi cancellare i tuoi messaggi
Non puoi inviare allegati

Cerca per:
Vai a: