Benvenuto Ospite

Forum Entomologi Italiani

www.entomologiitaliani.net/forum
 
Oggi è 29/05/2026, 17:36

Tutti gli orari sono UTC + 1 ora [ ora legale ]

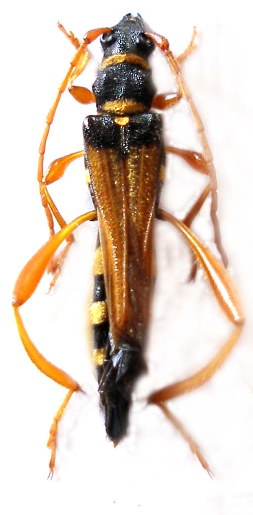
Stenopterus adlbaueri Sama, 1995 - Cerambycidae

27.VI.2010 - TURCHIA - EE, Tunceli, 22 km S Pülümür


nuovo argomento
rispondi
Pagina 1 di 1 [ 1 messaggio ]
Autore Messaggio
MessaggioInviato: 26/07/2010, 16:38 
Avatar utente

Iscritto il: 05/09/2009, 7:56
Messaggi: 3445
Località: Cesena
Nome: Gianfranco Sama
Turchia orientale, Tunceli: 22 km S Pülümür, 27.VI.2010

E' la stessa specie di cui P. Rapuzzi (Xylosteus) ha postato poco tempo fa la foto di due esemplari in copula
Stenopterus adlbaueri_Pulumur 044.jpg


_________________
Gianfranco Sama

"Benedetto colui che ti aiuta a correggere i tuoi errori invece di scagliarteli contro"
___________________________________
Gershom Sholem


Top
profilo
Visualizza ultimi messaggi:  Ordina per  
nuovo argomento
rispondi
Pagina 1 di 1 [ 1 messaggio ]

Tutti gli orari sono UTC + 1 ora [ ora legale ]


Chi c’è in linea

Visitano il forum: Nessuno e 2 ospiti


Non puoi aprire nuovi argomenti
Non puoi rispondere negli argomenti
Non puoi modificare i tuoi messaggi
Non puoi cancellare i tuoi messaggi
Non puoi inviare allegati

Cerca per:
Vai a: