| Autore |
Messaggio |
|
Isotomus
|
Inviato: 16/07/2010, 9:23 |
|
Iscritto il: 05/09/2009, 7:56 Messaggi: 3445 Località: Cesena
Nome: Gianfranco Sama
|
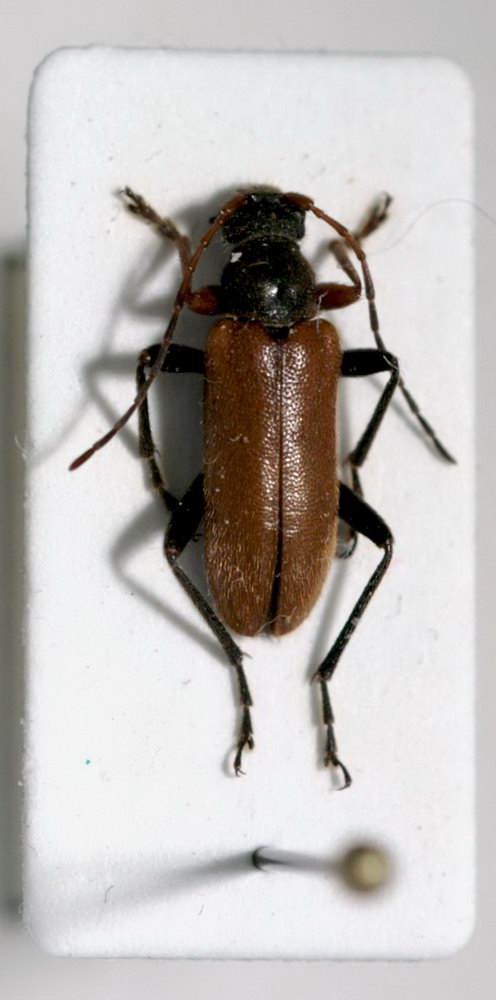
Questa è una delle chicche della nostra spedizione - Cortodera ranunculi Holzschuh, 1975 Turchia orientale, Mus: Varto, m.1517, 17.VI.2010 Secondo la descrizione originale, la serie tipica (1 maschio e sette femmine) fu raccolta su fiori di Ranunculus. I nostri esemplari (2 femmine), furono raccolti su Potentilla, un piccolo fiore giallo molto somigliante ad un Ranuncolo che, molto verosimilmente, ha tratto in inganno il descrittore.
_________________ Gianfranco Sama
"Benedetto colui che ti aiuta a correggere i tuoi errori invece di scagliarteli contro" ___________________________________ Gershom Sholem
|
|
| Top |
|
 |
|
Anillus
|
Inviato: 16/07/2010, 11:16 |
|
Iscritto il: 18/02/2009, 0:24 Messaggi: 3909 Località: Asciano (Siena)
Nome: Andrea Petrioli
|
Molto particolare come morfologia, da l'idea di essere estremamente corta, "compressa"  . Andrea
_________________ ______ Andrea
|
|
| Top |
|
 |
|
Phytoecia
|
Inviato: 28/07/2010, 12:30 |
|
Iscritto il: 28/07/2010, 11:11 Messaggi: 235 Località: Poland
Nome: Jacek Kurzawa
|
|
I have series determined by me as Cortodera ranunculi (Buglan Gecidi, near Solhan ca. 30km from Varto - loc.typ. C.ranunculi, 10.06.2004 on flowers Umbelliferae and Gundelia sp)) but specimens are different from C.ranunculi from your photo. My “C.ranunculi” habitus are similar to C.syriaca but they are bigger (10mm), all are dark-yelow. Now I see that all specimens are different to description C.rarnunculi Holzschuh’s.
What species is possible?
|
|
| Top |
|
 |
|
Isotomus
|
Inviato: 28/07/2010, 16:00 |
|
Iscritto il: 05/09/2009, 7:56 Messaggi: 3445 Località: Cesena
Nome: Gianfranco Sama
|
|
Dear Jacek, it is a pleasure to find you here in our Forum. You know, Cortodera is a very difficult genus and a correct identification is usually impossible through a picture. Your series does probably include only C. syriaca Pic, 1901 (I have also collected it on Gundelia tourneforti) and, maybe, a second one which, however, I cannot identify. Apparently not P. ranunculi. You should check the scutellum, in C. syriaca it is shining, totally without hairs or puncturation. We have collected our specimens (just two) probably in the type locality, a few km before Varto.
_________________ Gianfranco Sama
"Benedetto colui che ti aiuta a correggere i tuoi errori invece di scagliarteli contro" ___________________________________ Gershom Sholem
|
|
| Top |
|
 |
|
mcer
|
Inviato: 28/07/2010, 19:30 |
|
Iscritto il: 16/10/2009, 21:03 Messaggi: 136 Località: Poland
Nome: Marcin Szewczyk
|
|
So I ask for help in the sign Cortodera sp.
|
|
| Top |
|
 |
|
Julodis
|
Inviato: 29/07/2010, 7:22 |
|
Iscritto il: 30/12/2009, 22:20 Messaggi: 31564 Località: Roma
Nome: Maurizio Gigli
|
Ciao Gianfranco. Stante il fatto che le Cortodera sono tra i Cerambycidae di cui capisco meno, una cosa mi ha incuriosito di questa discussione: ma i rappresentanti di questo genere hanno preferenze così definite per le specie di fiori frequentate dagli adulti da essere addirittura d'aiuto nella determinazione della specie? Anillus ha scritto: Molto particolare come morfologia, da l'idea di essere estremamente corta, "compressa"  . Andrea Certamente, se no non si chiamava Cortodera! 
|
|
| Top |
|
 |
|
Isotomus
|
Inviato: 29/07/2010, 8:47 |
|
Iscritto il: 05/09/2009, 7:56 Messaggi: 3445 Località: Cesena
Nome: Gianfranco Sama
|
mcer ha scritto: So I ask for help in the sign Cortodera sp. Dear Marcin, you should open a new topic ("nuovo argomento") because it is not the same species. Anyway, your specimen cannot be identified (not by me) through a picture (like most Cortodera). Based on the locality you could compare it to C. uniformis or C. simulatrix both described by Holzschuh, 1975. Bye.
_________________ Gianfranco Sama
"Benedetto colui che ti aiuta a correggere i tuoi errori invece di scagliarteli contro" ___________________________________ Gershom Sholem
|
|
| Top |
|
 |
|
Isotomus
|
Inviato: 29/07/2010, 9:09 |
|
Iscritto il: 05/09/2009, 7:56 Messaggi: 3445 Località: Cesena
Nome: Gianfranco Sama
|
Julodis ha scritto: Ciao Gianfranco. Stante il fatto che le Cortodera sono tra i Cerambycidae di cui capisco meno, una cosa mi ha incuriosito di questa discussione: ma i rappresentanti di questo genere hanno preferenze così definite per le specie di fiori frequentate dagli adulti da essere addirittura d'aiuto nella determinazione della specie? In effetti, molte delle specie sono legate ad una determinata pianta o ad un gruppo di piante erbacee. Per esempio, la nostra C. holosericea si trova su Centaurea gr. triunfettii; su Centaurea dello stesso gruppo si trova l'orientale C. colchica; C. umbripennis e C. flavimana su Ranunculus; C. syriaca su Goundelia tournefortii. Bisogna anche dire che l'incertezza sull'identità di molte specie rende incerta anche l'attribuzione di queste specie ad una determinata pianta erbacea. Per esempio, in Iran ho trovato numerosi esemplari di una Cortodera, attribuibile a C. pseudomophlus, generalmente su Cardaria draba (una Brassicacea), ma anche su Centaurea a fiori gialli, composite a fiori gialli e bianchi, Achillea sp., ecc. Si tratta di una Cortodera molto variabile, ma non ci sono caratteri certi per distinguere più specie e, oltre tutto, si tratta di un gruppo a riproduzione partenogenetica, per cui non è possibile ricorrere all'aiuto dell'edeago, normalmente di grande aiuto in questo genere.
_________________ Gianfranco Sama
"Benedetto colui che ti aiuta a correggere i tuoi errori invece di scagliarteli contro" ___________________________________ Gershom Sholem
|
|
| Top |
|
 |
|
Phytoecia
|
Inviato: 29/07/2010, 12:40 |
|
Iscritto il: 28/07/2010, 11:11 Messaggi: 235 Località: Poland
Nome: Jacek Kurzawa
|
|
Gianfranco, thank You! Really, my specimens belong to C.syriaca: scutellum is shining without hairs, the first four segment antennal are yellow, legs are coloured the same as C.syriaca. I have a long series C.syriaca from Nemrut Dagi (catched by me) but all specimens are smalest as this 2 ex determined as "C.ranunculi" (I enclose photos with C.syriaca: 2 ex bigger and series smaller). Moreover, I've sugessted locality near loc.typ. C.ranunculi (Varto) but C.syriaca is species most common and widely distributed in this part of the Turkey. My mistake :-) Now I have two biggest C.syriaca in my coll, that's all! :-)
|
|
| Top |
|
 |
|