Benvenuto Ospite

Forum Entomologi Italiani

www.entomologiitaliani.net/forum
 
Oggi è 24/02/2026, 15:21

Tutti gli orari sono UTC + 1 ora [ ora legale ]

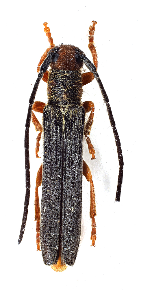
Oberea (Amaurostoma) erythrocephala erythrocephala (Schrank, 1776) Dettagli della specie

 


nuovo argomento
rispondi
Pagina 1 di 1 [ 1 messaggio ]
Autore Messaggio
MessaggioInviato: 02/06/2022, 19:32 
Avatar utente

Iscritto il: 10/05/2009, 15:30
Messaggi: 7182
Località: Ancona
Nome: Giacomo Giovagnoli
Oberea (Amaurostoma) erythrocephala (Schrank von Paula, 1776)

Mi serve una mano per il cartellino... :oops:

[grazie zio per le foto!!! :birra: ]

Dimensioni: 10mm
Comb3752fcr-23L6.jpg



Comb3752ccr-L6.jpg



Ciao :)

_________________
Immagine Giacomo


Top
profilo
Visualizza ultimi messaggi:  Ordina per  
nuovo argomento
rispondi
Pagina 1 di 1 [ 1 messaggio ]

Tutti gli orari sono UTC + 1 ora [ ora legale ]


Chi c’è in linea

Visitano il forum: Nessuno e 2 ospiti


Non puoi aprire nuovi argomenti
Non puoi rispondere negli argomenti
Non puoi modificare i tuoi messaggi
Non puoi cancellare i tuoi messaggi
Non puoi inviare allegati

Cerca per:
Vai a:  
cron