Benvenuto Ospite

Forum Entomologi Italiani

www.entomologiitaliani.net/forum
 
Oggi è 20/03/2026, 19:16

Tutti gli orari sono UTC + 1 ora [ ora legale ]

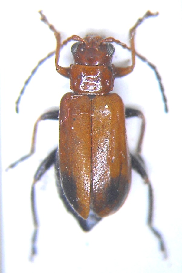
Phyllobrotica adusta (Creutzer, 1799) - Chrysomelide - Grecia

VII.2008 - GRECIA - EE, Macedonia, Arnea


nuovo argomento
rispondi
Pagina 1 di 1 [ 5 messaggi ]
Autore Messaggio
MessaggioInviato: 26/10/2010, 15:29 
Avatar utente

Iscritto il: 05/02/2009, 17:47
Messaggi: 7252
Località: Cagliari
Nome: Piero Leo
Non so se sia determinabile dalle foto. Il mio amico Luca si accontenterebbe di conoscere almeno il genere.

Grecia, Macedonia, Arnea, VII.2008, L. Fancello leg. - Lunghezza 6 mm
Crisomelide_Grecia1.jpg

Crisomelide_Grecia2.jpg



Top
profilo
 Oggetto del messaggio: Re: Crisomelide - Grecia
MessaggioInviato: 26/10/2010, 15:59 
Avatar utente

Iscritto il: 05/02/2009, 17:47
Messaggi: 7252
Località: Cagliari
Nome: Piero Leo
Se dico Phyllobrotica adusta sono molto fuori strada? :no1:

:) Ciao
Piero


Top
profilo
 Oggetto del messaggio: Re: Crisomelide - Grecia
MessaggioInviato: 26/10/2010, 16:56 
Avatar utente

Iscritto il: 22/05/2009, 21:00
Messaggi: 2781
Località: Pergine Valsugana (TN)
Nome: Andrea Carlin
Piero :hi: Per me potrebbe essere proprio lei! :hi:

_________________
Andrea Carlin, Pergine Valsugana (TN) carlin.andrea(AT)gmail.com

Nota: tutti gli esemplari inseriti nelle discussioni aperte da me sono da ritenere "Andrea Carlin legit" se non diversamente specificato.


Top
profilo
 Oggetto del messaggio: Re: Crisomelide - Grecia
MessaggioInviato: 26/10/2010, 18:27 
Avatar utente

Iscritto il: 03/07/2009, 21:19
Messaggi: 420
Località: Castelmarte (CO)
Nome: davide sassi
E' proprio lei! :birra:

_________________
"Non credo in Adamo ed Eva, credo nelle scimmie" (Ilaria, 8 anni)


Top
profilo
MessaggioInviato: 26/10/2010, 19:43 
Avatar utente

Iscritto il: 05/02/2009, 17:47
Messaggi: 7252
Località: Cagliari
Nome: Piero Leo
:) Grazie.

:) Ciao
Piero


Top
profilo
Visualizza ultimi messaggi:  Ordina per  
nuovo argomento
rispondi
Pagina 1 di 1 [ 5 messaggi ]

Tutti gli orari sono UTC + 1 ora [ ora legale ]


Chi c’è in linea

Visitano il forum: Nessuno e 10 ospiti


Non puoi aprire nuovi argomenti
Non puoi rispondere negli argomenti
Non puoi modificare i tuoi messaggi
Non puoi cancellare i tuoi messaggi
Non puoi inviare allegati

Cerca per:
Vai a: