| Autore |
Messaggio |
|
Maurizio Bollino
|
Inviato: 17/10/2010, 23:07 |
|
Iscritto il: 25/11/2009, 9:31 Messaggi: 8157 Località: Lecce
Nome: Maurizio Bollino
|
Chrysomelidae Donaciinae Kirby, 1837Genere Donacia Fabricius, 1775
_________________ Maurizio Bollino
|
|
| Top |
|
 |
|
Maurizio Bollino
|
Inviato: 17/10/2010, 23:28 |
|
Iscritto il: 25/11/2009, 9:31 Messaggi: 8157 Località: Lecce
Nome: Maurizio Bollino
|
Chrysomelidae Orsodacninae C.G. Thomson, 1859Genere Orsodacne Latreille, 1802
_________________ Maurizio Bollino
|
|
| Top |
|
 |
|
Maurizio Bollino
|
Inviato: 17/10/2010, 23:46 |
|
Iscritto il: 25/11/2009, 9:31 Messaggi: 8157 Località: Lecce
Nome: Maurizio Bollino
|
Chrysomelidae Criocerinae Latreille, 1804Genere Crioceris Müller, 1764Genere Lema Fabricius, 1798 Genere Lilioceris Reitter, 1912Genere Oulema Gozis, 1886
_________________ Maurizio Bollino
|
|
| Top |
|
 |
|
Maurizio Bollino
|
Inviato: 18/10/2010, 12:32 |
|
Iscritto il: 25/11/2009, 9:31 Messaggi: 8157 Località: Lecce
Nome: Maurizio Bollino
|
Chrysomelidae Clytrinae Kirby, 1837Genere Cheilotoma Chevrolat, 1837Genere Clytra Laicharting, 1781Genere Coptocephala Chevrolat, 1837 Genere Labidostomis Germar, 1822Genere Lachnaia Chevrolat, 1837Genere Macrolenes Chevrolat, 1837Genere Smaragdina Chevrolat, 1837Genere Tituboea Lacordaire, 1848
_________________ Maurizio Bollino
|
|
| Top |
|
 |
|
Maurizio Bollino
|
Inviato: 18/10/2010, 13:21 |
|
Iscritto il: 25/11/2009, 9:31 Messaggi: 8157 Località: Lecce
Nome: Maurizio Bollino
|
Chrysomelidae Cryptocephalinae Gyllenhal, 1813Genere Cryptocephalus Müller, 1764Sottogenere Asionus Lopatin, 1988
_________________ Maurizio Bollino
|
|
| Top |
|
 |
|
Maurizio Bollino
|
Inviato: 18/10/2010, 13:30 |
|
Iscritto il: 25/11/2009, 9:31 Messaggi: 8157 Località: Lecce
Nome: Maurizio Bollino
|
Chrysomelidae Cryptocephalinae Gyllenhal, 1813Genere Cryptocephalus Müller, 1764Sottogenere Burlinius Lopatin, 1965
_________________ Maurizio Bollino
|
|
| Top |
|
 |
|
Maurizio Bollino
|
Inviato: 18/10/2010, 13:47 |
|
Iscritto il: 25/11/2009, 9:31 Messaggi: 8157 Località: Lecce
Nome: Maurizio Bollino
|
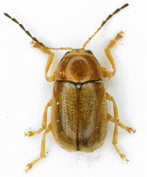
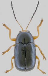
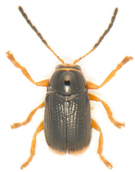
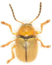
Chrysomelidae Cryptocephalinae Gyllenhal, 1813Genere Cryptocephalus Müller, 1764Sottogenere Cryptocephalus Müller, 1764
| Specie | Femmina | Maschio |
| Cryptocephalus (Cryptocephalus) anticus Suffrian 1848 | | |
| Cryptocephalus (Cryptocephalus) aureolus Suffrian 1847 | | |
| Cryptocephalus (Cryptocephalus) bameuli Duhadelborde, 1999 | | |
| Cryptocephalus (Cryptocephalus) bipunctatus (Linné, 1758) | | |
| Cryptocephalus (Cryptocephalus) trimaculatus Rossi, 1790 | | |
| Cryptocephalus (Cryptocephalus) curvilinea G. A. Olivier 1808 | | |
| Cryptocephalus (Cryptocephalus) etruscus Sassi, 1995 | | |
| Cryptocephalus (Cryptocephalus) flavipes Fabricius, 1781 | | |
| Cryptocephalus (Cryptocephalus) hirticollis Suffrian 1847 | | |
| Cryptocephalus (Cryptocephalus) leonhardi (Breit, 1918) | | |
| Cryptocephalus (Cryptocephalus) moraei (Linnaeus, 1758) | | |
| Cryptocephalus (Cryptocephalus) phaleratus Tappes, 1871 | | |
| Cryptocephalus (Cryptocephalus) renatae Sassi, 2001 | | |
| Cryptocephalus (Cryptocephalus) samniticus Leonardi & Sassi, 2001 | | |
| Cryptocephalus (Cryptocephalus) sericeus (Linnaeus 1758) | | |
| Cryptocephalus (Cryptocephalus) sexpunctatus (Linnaeus, 1758) | | |
| Cryptocephalus (Cryptocephalus) sulphureus G. A. Olivier 1808 | | |
| Cryptocephalus (Cryptocephalus) transiens Franz, 1949 | | |
| Cryptocephalus (Cryptocephalus) vittatus Fabricius, 1775 | | |
_________________ Maurizio Bollino
|
|
| Top |
|
 |
|
Maurizio Bollino
|
Inviato: 18/10/2010, 23:15 |
|
Iscritto il: 25/11/2009, 9:31 Messaggi: 8157 Località: Lecce
Nome: Maurizio Bollino
|
Chrysomelidae Cryptocephalinae Gyllenhal, 1813Genere Cryptocephalus Müller, 1764Sottogenere Heterichnus Warchalowski, 1991
_________________ Maurizio Bollino
|
|
| Top |
|
 |
|
Maurizio Bollino
|
Inviato: 18/10/2010, 23:20 |
|
Iscritto il: 25/11/2009, 9:31 Messaggi: 8157 Località: Lecce
Nome: Maurizio Bollino
|
Chrysomelidae Cryptocephalinae Gyllenhal, 1813Genere Cryptocephalus Müller, 1764Sottogenere Protophysus Chevrolat, 1836
_________________ Maurizio Bollino
|
|
| Top |
|
 |
|
Maurizio Bollino
|
Inviato: 19/10/2010, 22:51 |
|
Iscritto il: 25/11/2009, 9:31 Messaggi: 8157 Località: Lecce
Nome: Maurizio Bollino
|
Chrysomelidae Cryptocephalinae Gyllenhal, 1813Genere Pachybrachis Chevrolat, 1837
_________________ Maurizio Bollino
|
|
| Top |
|
 |
|
Maurizio Bollino
|
Inviato: 20/10/2010, 19:56 |
|
Iscritto il: 25/11/2009, 9:31 Messaggi: 8157 Località: Lecce
Nome: Maurizio Bollino
|
Chrysomelidae Lamprosomatinae Lacordaire, 1848 Genere Oomorphus Sturm, 1807
_________________ Maurizio Bollino
|
|
| Top |
|
 |
|
Maurizio Bollino
|
Inviato: 20/10/2010, 20:07 |
|
Iscritto il: 25/11/2009, 9:31 Messaggi: 8157 Località: Lecce
Nome: Maurizio Bollino
|
Chrysomelidae Eumolpinae Hope, 1840Genere Colaspidea Laporte, 1833Genere Chrysochus Chevrolat, 1836
_________________ Maurizio Bollino
|
|
| Top |
|
 |
|
Maurizio Bollino
|
Inviato: 20/10/2010, 20:15 |
|
Iscritto il: 25/11/2009, 9:31 Messaggi: 8157 Località: Lecce
Nome: Maurizio Bollino
|
Chrysomelidae Chrysomelinae Latreille, 1802Genere Chrysomela Linnaeus, 1758
_________________ Maurizio Bollino
|
|
| Top |
|
 |
|
Maurizio Bollino
|
Inviato: 20/10/2010, 20:24 |
|
Iscritto il: 25/11/2009, 9:31 Messaggi: 8157 Località: Lecce
Nome: Maurizio Bollino
|
Chrysomelidae Chrysomelinae Latreille, 1802Genere Gastrophysa Chevrolat, 1836
_________________ Maurizio Bollino
|
|
| Top |
|
 |
|
Maurizio Bollino
|
Inviato: 20/10/2010, 23:01 |
|
Iscritto il: 25/11/2009, 9:31 Messaggi: 8157 Località: Lecce
Nome: Maurizio Bollino
|
Chrysomelidae Chrysomelinae Latreille, 1802Genere Chrysolina Motschulsky, 1860Sottogenere Centoptera Motschulsky, 1860Sottogenere Chalcoidea Motschulsky, 1860Sottogenere Chrysolina Motschulsky, 1860Sottogenere Chrysolinopsis Motschulsky, 1860 Sottogenere Chrysomorpha Motschulsky, 1860Sottogenere Colaphodes Motschulsky, 1860Sottogenere Colaphosoma Motschulsky, 1860Sottogenere Erythrochrysa Bechiné, 1950Sottogenere Fastuolina Warchalowski, 1991Sottogenere Hypericia Bedel, 1892Sottogenere Melasomoptera Bechiné, 1950Sottogenere Maenadochrysa Bechiné, 1950Sottogenere Ovosoma Motschulsky, 1860 Sottogenere Ovostoma Motschulsky, 1860 Sottogenere Stichoptera Motschulsky, 1860 Sottogenere Sulcicollis J.R. Sahlberg, 1913 Sottogenere Synerga Weise, 1900 Sottogenere Taeniosticha Motschulsky, 1860 Sottogenere Threnosoma Motschulsky, 1860
_________________ Maurizio Bollino
|
|
| Top |
|
 |
|