Benvenuto Ospite

Forum Entomologi Italiani

www.entomologiitaliani.net/forum
 
Oggi è 09/02/2026, 8:09

Tutti gli orari sono UTC + 1 ora [ ora legale ]

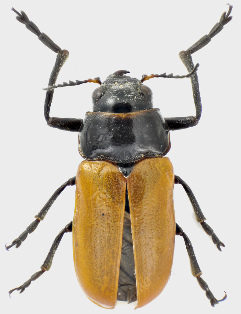
Tituboea illigeri (Lacordaire, 1848) - Chrysomelidae

21.V.2013 - TUNISIA - EE, Hamamet Nord (Gov. Nabeul) - lg. Sabatinelli


nuovo argomento
rispondi
Pagina 1 di 1 [ 2 messaggi ]
Autore Messaggio
MessaggioInviato: 21/01/2014, 14:33 
Avatar utente

Iscritto il: 25/11/2009, 9:31
Messaggi: 8158
Località: Lecce
Nome: Maurizio Bollino
Sembra la illigeri, ma scambiando messaggi con Renato Regalin comincio a sospettare che la fauna del Nord Africa si conosce meno di quel che un profano come me possa supporre.

Dimensione: 11,5 mm

Tituboea cf illigeri.jpg



visione dorsale e laterale
Tituboea cf illigeri edeago.jpg


_________________
Maurizio Bollino


Top
profilo
MessaggioInviato: 21/01/2014, 19:57 
Avatar utente

Iscritto il: 17/07/2011, 15:03
Messaggi: 411
Località: Abbiategrasso
Nome: Renato Regalin
:ok: Tipica Tituboea illigeri anche se, probabilmente, non si tratta di una specie distinta ma solo di una forma cromatica della T. sexmaculata. La questione resta da risolvere.

Ciao, Renato :hi:

_________________
http://www.chrysomelidae.it/Chrysomelid ... egalin.htm


Top
profilo
Visualizza ultimi messaggi:  Ordina per  
nuovo argomento
rispondi
Pagina 1 di 1 [ 2 messaggi ]

Tutti gli orari sono UTC + 1 ora [ ora legale ]


Chi c’è in linea

Visitano il forum: Bing [Bot] e 3 ospiti


Non puoi aprire nuovi argomenti
Non puoi rispondere negli argomenti
Non puoi modificare i tuoi messaggi
Non puoi cancellare i tuoi messaggi
Non puoi inviare allegati

Cerca per:
Vai a: