Benvenuto Ospite

Forum Entomologi Italiani

www.entomologiitaliani.net/forum
 
Oggi è 31/03/2026, 13:53

Tutti gli orari sono UTC + 1 ora [ ora legale ]

Phyllobrotica elegans Kraatz, 1866 - Chrysomelidae

28.V.2017 - TURCHIA - EE, Karaman


nuovo argomento
rispondi
Pagina 1 di 1 [ 4 messaggi ]
Autore Messaggio
MessaggioInviato: 13/06/2017, 23:07 
Avatar utente

Iscritto il: 21/09/2014, 11:55
Messaggi: 1561
Località: Istanbul Turkey
Nome: Barış
??
On Ajuga
Credit: Özgür Koçak.


Chrysomelidae.JPG

Top
profilo
 Oggetto del messaggio: Re: Chrysomelidae: Phyllobrotica sp??
MessaggioInviato: 14/06/2017, 0:59 
 

Iscritto il: 10/04/2013, 16:11
Messaggi: 546
Nome: Ozgur Kocak
Baris99 ha scritto:
??
On Ajuga
Credit: Özgür Koçak.


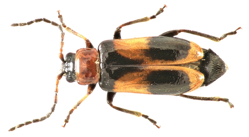
Thanks Baris for asking this strange one... I have also a collection sample photo. A dark form... May be useful for identification.


2017_308.jpg

Top
profilo
 Oggetto del messaggio: Re: Chrysomelidae: Phyllobrotica sp??
MessaggioInviato: 14/06/2017, 7:08 
Avatar utente

Iscritto il: 30/12/2009, 22:20
Messaggi: 31564
Località: Roma
Nome: Maurizio Gigli
Perhaps Phyllobrotica elegans Kraatz, 1866

_________________
Maurizio Gigli
http://utenti.romascuola.net/bups
http://bup.xoom.it/


Top
profilo
 Oggetto del messaggio: Re: Chrysomelidae: Phyllobrotica sp??
MessaggioInviato: 14/06/2017, 8:52 
Avatar utente

Iscritto il: 21/09/2014, 11:55
Messaggi: 1561
Località: Istanbul Turkey
Nome: Barış
Thanks! I agree that it is Phyllobrotica elegans. The darker specimen fits perfectly.


Top
profilo
Visualizza ultimi messaggi:  Ordina per  
nuovo argomento
rispondi
Pagina 1 di 1 [ 4 messaggi ]

Tutti gli orari sono UTC + 1 ora [ ora legale ]


Chi c’è in linea

Visitano il forum: Nessuno e 1 ospite


Non puoi aprire nuovi argomenti
Non puoi rispondere negli argomenti
Non puoi modificare i tuoi messaggi
Non puoi cancellare i tuoi messaggi
Non puoi inviare allegati

Cerca per:
Vai a: