Benvenuto Ospite

Forum Entomologi Italiani

www.entomologiitaliani.net/forum
 
Oggi è 28/01/2026, 14:18

Tutti gli orari sono UTC + 1 ora [ ora legale ]

Haliplus (Liaphlus) guttatus Aubé 1836 - Haliplidae

XI.2004 - ITALIA - Lazio - RM, Bosco di Nettuno


nuovo argomento
rispondi
Pagina 1 di 1 [ 3 messaggi ]
Autore Messaggio
MessaggioInviato: 14/02/2011, 0:46 
Avatar utente

Iscritto il: 30/12/2009, 22:20
Messaggi: 31564
Località: Roma
Nome: Maurizio Gigli
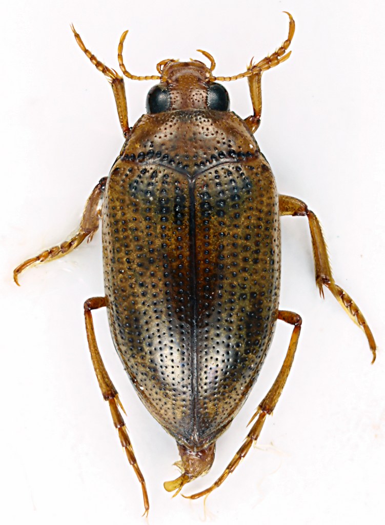
Eccone un altro preso più di recente.

Lazio, Roma, Bosco di Nettuno, XI.2004, M. Gigli legit
4,0 mm
Haliplidae_Acciarella_XI-2004_4mm.jpg


_________________
Maurizio Gigli
http://utenti.romascuola.net/bups
http://bup.xoom.it/


Top
profilo
 Oggetto del messaggio: Re: Altro Haliplide del Lazio
MessaggioInviato: 14/02/2011, 13:44 
Amministratore
Avatar utente

Iscritto il: 02/02/2009, 23:30
Messaggi: 7105
Località: Capaci (Pa)
Nome: Marcello Romano
Malgrado l'esemplare presenti il tegumento elitrale molto iscurito, si riesce lo stesso a notare un disegno evanescente, costituito da aree più scure, simile a quello di Haliplus (Liaphlus) variegatus, ma più ridotto. La forma generale molto allungata, con i lati delle elitre che, nel tratto centrale, sono subparalleli e i grossi punti alla base del pronoto sono altri due caratteri utili per giungere ad una determinazione sicura: Haliplus (Liaphlus) guttatus Aubé 1836.
La Ckmap lo indica come presente in tutta Italia (con molti reperti negli immediati dintorni di Roma) e isole maggiori e io stesso l'ho raccolto in varie stazioni siciliane.

_________________
:hi: Marcello Romano


Top
profilo
MessaggioInviato: 14/02/2011, 17:00 
Avatar utente

Iscritto il: 30/12/2009, 22:20
Messaggi: 31564
Località: Roma
Nome: Maurizio Gigli
Grazie Marcello. Purtroppo i tegumenti iscuriti sono frequenti in queste bestiole che, come i Dytiscidae, buttano fuori un sacco di grasso.

_________________
Maurizio Gigli
http://utenti.romascuola.net/bups
http://bup.xoom.it/


Top
profilo
Visualizza ultimi messaggi:  Ordina per  
nuovo argomento
rispondi
Pagina 1 di 1 [ 3 messaggi ]

Tutti gli orari sono UTC + 1 ora [ ora legale ]


Chi c’è in linea

Visitano il forum: Nessuno e 1 ospite


Non puoi aprire nuovi argomenti
Non puoi rispondere negli argomenti
Non puoi modificare i tuoi messaggi
Non puoi cancellare i tuoi messaggi
Non puoi inviare allegati

Cerca per:
Vai a: