Benvenuto Ospite

Forum Entomologi Italiani

www.entomologiitaliani.net/forum
 
Oggi è 28/01/2026, 15:43

Tutti gli orari sono UTC + 1 ora [ ora legale ]

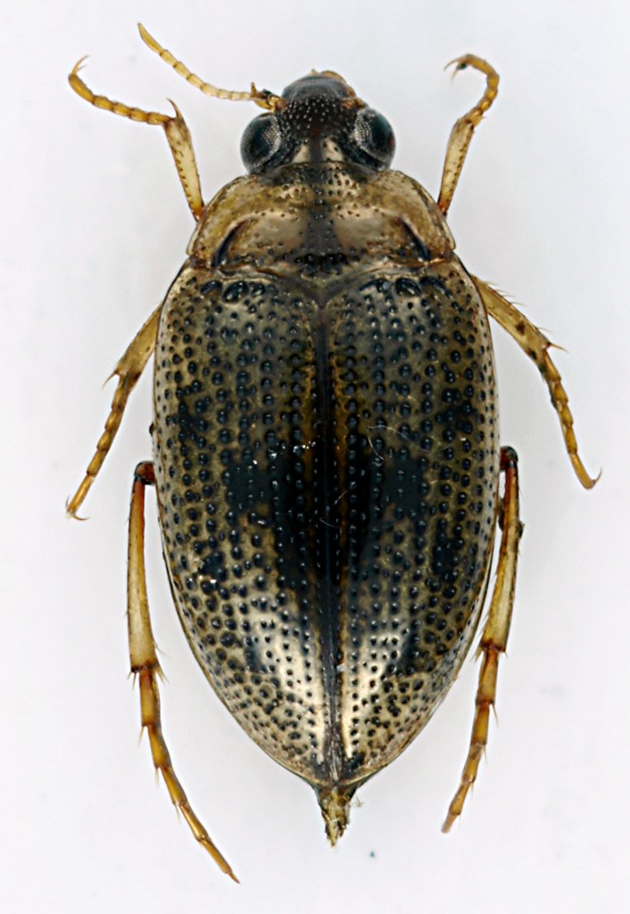
Haliplus (Neohaliplus) lineatocollis (Marsham, 1802) - Haliplidae

14.II.2011 - ITALIA - Lazio - RM, Bosco di Nettuno


nuovo argomento
rispondi
Pagina 1 di 1 [ 3 messaggi ]
Autore Messaggio
MessaggioInviato: 15/02/2011, 0:08 
Avatar utente

Iscritto il: 30/12/2009, 22:20
Messaggi: 31564
Località: Roma
Nome: Maurizio Gigli
Ecco l'unico Haliplidae che ho trovato oggi.

Lazio, Roma, Bosco di Nettuno, pozze temporanee, 14.II.2011, M. Gigli legit
3 mm
Haliplidae_Bosco_Nettuno_14-II-2011_3mm.jpg


_________________
Maurizio Gigli
http://utenti.romascuola.net/bups
http://bup.xoom.it/


Top
profilo
 Oggetto del messaggio: Re: Haliplidae #3 - Lazio
MessaggioInviato: 15/02/2011, 1:05 
Amministratore
Avatar utente

Iscritto il: 02/02/2009, 23:30
Messaggi: 7105
Località: Capaci (Pa)
Nome: Marcello Romano
Quando avevi scritto di avere trovato oggi un Haliplidae, ero quasi certo che si trattasse di questa specie, sicuramente la più comune e diffusa della famiglia e presente tutto l'anno ed in ogni tipo di ambiente acquatico, anche leggermente inquinato.
Si tratta di Haliplus (Neohaliplus) lineatocollis (Marsham 1802), subito riconoscibile per le sue dimensioni ridotte e, soprattutto, per la presenza della lunga stria longitudinale basale ai lati del pronoto, molto impressa e fortemente curvata verso il centro.

_________________
:hi: Marcello Romano


Top
profilo
 Oggetto del messaggio: Re: Haliplidae #3 - Lazio
MessaggioInviato: 15/02/2011, 1:22 
Avatar utente

Iscritto il: 30/12/2009, 22:20
Messaggi: 31564
Località: Roma
Nome: Maurizio Gigli
Velvet Ant ha scritto:
Quando avevi scritto di avere trovato oggi un Haliplidae, ero quasi certo che si trattasse di questa specie, sicuramente la più comune e diffusa della famiglia e presente tutto l'anno ed in ogni tipo di ambiente acquatico, anche leggermente inquinato.
Si tratta di Haliplus (Neohaliplus) lineatocollis (Marsham 1802), subito riconoscibile per le sue dimensioni ridotte e, soprattutto, per la presenza della lunga stria longitudinale basale ai lati del pronoto, molto impressa e fortemente curvata verso il centro.

Purtroppo, solo quello c'era! E pure senza un'antenna!
Con l'avanzare della stagione ne arriveranno altri, anche se, non so dalle tue parti, ma qui si trovano sempre individui isolati, o comunque pochissimi, a differenza di quanto accade con molti Dytiscidae, che spesso, quando si trovano, sono presenti con nutrite popolazioni.

_________________
Maurizio Gigli
http://utenti.romascuola.net/bups
http://bup.xoom.it/


Top
profilo
Visualizza ultimi messaggi:  Ordina per  
nuovo argomento
rispondi
Pagina 1 di 1 [ 3 messaggi ]

Tutti gli orari sono UTC + 1 ora [ ora legale ]


Chi c’è in linea

Visitano il forum: Nessuno e 1 ospite


Non puoi aprire nuovi argomenti
Non puoi rispondere negli argomenti
Non puoi modificare i tuoi messaggi
Non puoi cancellare i tuoi messaggi
Non puoi inviare allegati

Cerca per:
Vai a: