Benvenuto Ospite

Forum Entomologi Italiani

www.entomologiitaliani.net/forum
 
Oggi è 22/12/2025, 19:48

Tutti gli orari sono UTC + 1 ora [ ora legale ]

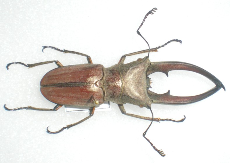
Cyclommatus canaliculatus Ritsema, 1891 - Lucanidae

2003 - EE, Sumatra


nuovo argomento
rispondi
Pagina 1 di 1 [ 1 messaggio ]
Autore Messaggio
MessaggioInviato: 28/09/2011, 12:33 
Avatar utente

Iscritto il: 10/05/2009, 15:30
Messaggi: 7182
Località: Ancona
Nome: Giacomo Giovagnoli
Cyclommatus canaliculatus Ritsema, 1891.

Sumatra (Indonesia), 2003.

Dimensioni: 53mm
IMGP5187.jpg


IMGP5188.jpg


IMGP5189.jpg



Ciao :)

_________________
Immagine Giacomo


Top
profilo
Visualizza ultimi messaggi:  Ordina per  
nuovo argomento
rispondi
Pagina 1 di 1 [ 1 messaggio ]

Tutti gli orari sono UTC + 1 ora [ ora legale ]


Chi c’è in linea

Visitano il forum: Nessuno e 1 ospite


Non puoi aprire nuovi argomenti
Non puoi rispondere negli argomenti
Non puoi modificare i tuoi messaggi
Non puoi cancellare i tuoi messaggi
Non puoi inviare allegati

Cerca per:
Vai a:  
cron