Forum Entomologi Italiani
https://www.entomologiitaliani.net/public/forum/phpBB3/

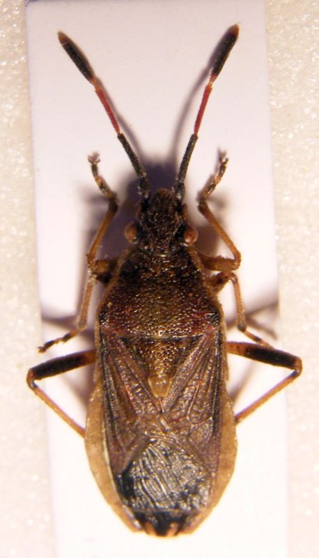
Maccevethus sp. - Rhopalidae
https://www.entomologiitaliani.net/public/forum/phpBB3/viewtopic.php?f=171&t=66212
Pagina 1 di 1

Autore:  Palaemonetes [ 15/01/2016, 12:21 ]
Oggetto del messaggio:  Maccevethus sp. - Rhopalidae

Lunghezza mm 10. Arrivo a genere Maccevethus. Ammesso che il genere sia giusto, ricordo un paio di discussioni dove sia Paride che Attilio affermavano che le varie specie erano distinguibili solo ricorrendo all'esame dei genitali. Quindi...Maccevethus sp.? Grazie a tutti.

Allegati:
4.jpg

3.jpg

2.jpg

1.jpg


Autore:  Baris99 [ 15/01/2016, 12:25 ]
Oggetto del messaggio:  Re: Rhopalidae da ID

Exactly!

Autore:  Palaemonetes [ 15/01/2016, 12:31 ]
Oggetto del messaggio:  Re: Rhopalidae da ID

Thank you very much again Barış :hp: .

Pagina 1 di 1 Tutti gli orari sono UTC + 1 ora [ ora legale ]
Powered by phpBB® Forum Software © phpBB Group
http://www.phpbb.com/