Forum Entomologi Italiani
https://www.entomologiitaliani.net/public/forum/phpBB3/

Himacerus (Aptus) mirmicoides (O. Costa 1834) (Nabidae)
https://www.entomologiitaliani.net/public/forum/phpBB3/viewtopic.php?f=174&t=388
Pagina 1 di 1

Autore:  Ranatra [ 26/02/2009, 17:32 ]
Oggetto del messaggio:  Himacerus (Aptus) mirmicoides (O. Costa 1834) (Nabidae)

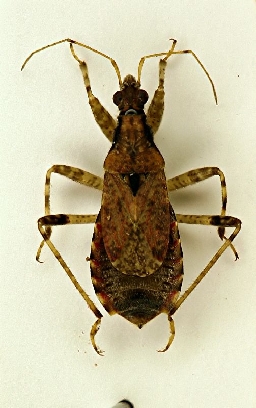
18/10/06
Fonni (Nu)
Fascia trappola su ontano.
Sono certa, ma abbiate pazienza, sarò ancora più certa dopo la vostra conferma!

Grazie Laura

Allegati:
Aptus_mirmicoides_light.jpg


Autore:  eremicus [ 26/02/2009, 21:31 ]
Oggetto del messaggio:  Re: Aptus mirmicoides (O. Costa)? Eterottero Sardegna

Anche questa non può essere che una conferma della corretta determinazione proposta. L'esemplare fotografato appartiene alla forma macrottera, che è meno abbondante rispetto a quella brachittera.

Autore:  Velvet Ant [ 27/02/2009, 8:56 ]
Oggetto del messaggio:  Re: Aptus mirmicoides (O. Costa)? Eterottero Sardegna

Solo una domanda, prima di taxarlo nel titolo.
Su faunaeur.org lo trovo riportato come Himacerus (Aptus) mirmicoides (O. Costa 1834).
Questa combinazione è corretta o già superata da più recenti indagini sul gruppo?

Autore:  eremicus [ 27/02/2009, 12:09 ]
Oggetto del messaggio:  Re: Aptus mirmicoides (O. Costa)? Eterottero Sardegna

Sì, è la combinazione corretta, in quanto Aptus è attualmente considerato (secondo me a ragione) sottogenere di Himacerus.

Autore:  Loriscola [ 18/10/2009, 21:34 ]
Oggetto del messaggio:  Himacerus (Aptus) mirmicoides (O. Costa 1834)

Questo proviene invece dal tronco di una grossa quercia.

Sasso Marconi (BO) Palazzo Rossi otobre 2009
trappola a fascia su Quercus sp.

Heterottero nuovo 2.JPG


Autore:  Ranatra [ 18/10/2009, 22:07 ]
Oggetto del messaggio:  Re: Heterottero Quercia

Questo è il Nabidae Himacerus (Aptus) mirmicoides

Ciao Laura

Autore:  eremicus [ 19/10/2009, 0:28 ]
Oggetto del messaggio:  Re: Heterottero Quercia

Confermo l'identificazione di Laura.

Pagina 1 di 1 Tutti gli orari sono UTC + 1 ora [ ora legale ]
Powered by phpBB® Forum Software © phpBB Group
http://www.phpbb.com/