Benvenuto Ospite

Forum Entomologi Italiani

www.entomologiitaliani.net/forum
 
Oggi è 27/12/2025, 23:54

Tutti gli orari sono UTC + 1 ora [ ora legale ]

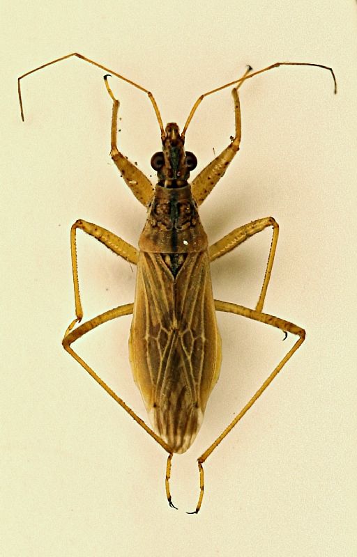
Nabis ? Sasso Marconi (BO)



nuovo argomento
rispondi
Pagina 1 di 1 [ 1 messaggio ]
Autore Messaggio
 Oggetto del messaggio: Nabis ? Sasso Marconi (BO)
MessaggioInviato: 22/03/2010, 18:53 
Avatar utente

Iscritto il: 05/02/2009, 17:25
Messaggi: 4894
Località: Zola Predosa (BO)
Nome: Loris Colacurcio
Altra caccia particolarmente fruttuosa, e consigliata da alcuni amici "cimiciari", è quella di battere i cespugli di erba secca alla base di muretti, collinette o vicino agli alberi....e non ci sono solo heterotteri, ovviamente.

Sasso Marconi (BO) - Palazzo Rossi, 20.III.2010
Lunghezza: 6,5 mm. circa
hetero n1.JPG


_________________
Loris


Top
profilo
Visualizza ultimi messaggi:  Ordina per  
nuovo argomento
rispondi
Pagina 1 di 1 [ 1 messaggio ]

Tutti gli orari sono UTC + 1 ora [ ora legale ]


Chi c’è in linea

Visitano il forum: Nessuno e 1 ospite


Non puoi aprire nuovi argomenti
Non puoi rispondere negli argomenti
Non puoi modificare i tuoi messaggi
Non puoi cancellare i tuoi messaggi
Non puoi inviare allegati

Cerca per:
Vai a: