Benvenuto Ospite

Forum Entomologi Italiani

www.entomologiitaliani.net/forum
 
Oggi è 24/11/2025, 23:25

Tutti gli orari sono UTC + 1 ora [ ora legale ]

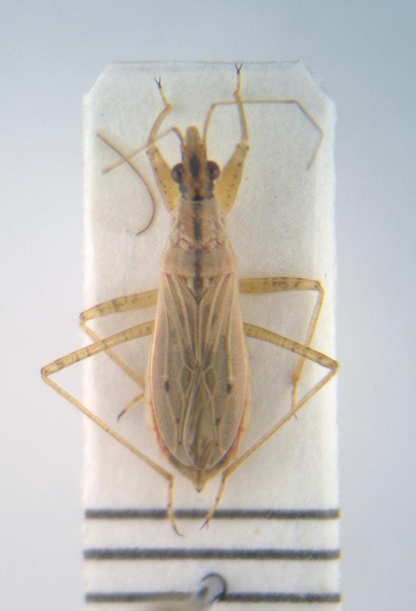
Nabis sp. ♀ - Nabidae



nuovo argomento
rispondi
Pagina 1 di 1 [ 3 messaggi ]
Autore Messaggio
 Oggetto del messaggio: Nabis sp. ♀ - Nabidae
MessaggioInviato: 10/04/2010, 8:56 
Avatar utente

Iscritto il: 06/02/2009, 9:02
Messaggi: 1429
Località: Verona - Roma - Foggia e sporadicamente Padova
Nome: Filippo Di Giovanni
Puglia - Biccari (FG)
loc. Vado del Tufo
bosco misto 02-IV-2010

DSCN1792.JPG



DSCN1794.JPG


_________________
"Non posso separare il piacere estetico che provo nel vedere una farfalla dal piacere scientifico di sapere che cosa è" (V.Nabokov)


Top
profilo
 Oggetto del messaggio: Re: Nabide ??
MessaggioInviato: 10/04/2010, 19:53 
Avatar utente

Iscritto il: 05/02/2009, 17:36
Messaggi: 780
Nome: Attilio Carapezza
Femmina di Nabis sp.. Il genere comprende numerose specie estremamente simili esternamente e separabili soltanto esaminando i genitali. La determinazione a livello specifico sulla base di una fotografia risulta pertanto impossibile.


Top
profilo
 Oggetto del messaggio: Re: Nabide ??
MessaggioInviato: 10/04/2010, 20:12 
Avatar utente

Iscritto il: 06/02/2009, 9:02
Messaggi: 1429
Località: Verona - Roma - Foggia e sporadicamente Padova
Nome: Filippo Di Giovanni
Grazie Attilio, mi accontento di aver azzeccato la famiglia :D .
Normalmente non raccolgo emitteri, questo è capitato nella provetta chissà come... Se serve a qualcuno...

Alla prossima, Pippo

_________________
"Non posso separare il piacere estetico che provo nel vedere una farfalla dal piacere scientifico di sapere che cosa è" (V.Nabokov)


Top
profilo
Visualizza ultimi messaggi:  Ordina per  
nuovo argomento
rispondi
Pagina 1 di 1 [ 3 messaggi ]

Tutti gli orari sono UTC + 1 ora [ ora legale ]


Chi c’è in linea

Visitano il forum: Nessuno e 1 ospite


Non puoi aprire nuovi argomenti
Non puoi rispondere negli argomenti
Non puoi modificare i tuoi messaggi
Non puoi cancellare i tuoi messaggi
Non puoi inviare allegati

Cerca per:
Vai a: