Benvenuto Ospite

Forum Entomologi Italiani

www.entomologiitaliani.net/forum
 
Oggi è 18/05/2026, 17:58

Tutti gli orari sono UTC + 1 ora [ ora legale ]

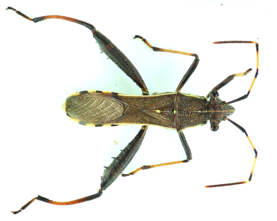
Camptopus lateralis (Germar 1817) - Alydidae

1.VI.2013 - TURCHIA - EE, Karaman


nuovo argomento
rispondi
Pagina 1 di 1 [ 3 messaggi ]
Autore Messaggio
MessaggioInviato: 11/12/2013, 12:49 
 

Iscritto il: 10/04/2013, 16:11
Messaggi: 546
Nome: Ozgur Kocak
I genarally saw it in quercus forests.


12.JPG

Top
profilo
 Oggetto del messaggio: Re: Hemiptera_Turkey
MessaggioInviato: 11/12/2013, 12:50 
Avatar utente

Iscritto il: 28/05/2011, 21:10
Messaggi: 1981
Nome: Umberto Devincenzo
Camptopus lateralis (Germar 1817) - Alydidae :ok:

_________________
"La compassione e l'empatia per il più piccolo degli animali, è una delle più nobili virtù che un uomo possa ricevere in dono."
Charles Darwin


Top
profilo
 Oggetto del messaggio: Re: Hemiptera_Turkey
MessaggioInviato: 17/12/2013, 22:05 
 

Iscritto il: 10/04/2013, 16:11
Messaggi: 546
Nome: Ozgur Kocak
Umbro ha scritto:
Camptopus lateralis (Germar 1817) - Alydidae :ok:

Thanks Umberto.
Best regards.


Top
profilo
Visualizza ultimi messaggi:  Ordina per  
nuovo argomento
rispondi
Pagina 1 di 1 [ 3 messaggi ]

Tutti gli orari sono UTC + 1 ora [ ora legale ]


Chi c’è in linea

Visitano il forum: Nessuno e 2 ospiti


Non puoi aprire nuovi argomenti
Non puoi rispondere negli argomenti
Non puoi modificare i tuoi messaggi
Non puoi cancellare i tuoi messaggi
Non puoi inviare allegati

Cerca per:
Vai a: