Benvenuto Ospite

Forum Entomologi Italiani

www.entomologiitaliani.net/forum
 
Oggi è 10/02/2026, 14:48

Tutti gli orari sono UTC + 1 ora [ ora legale ]

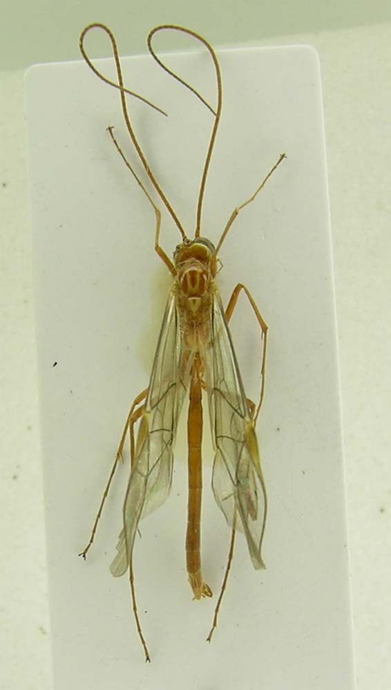
Ophion sp. - Ichneumonidae Ophioninae

20.III.2011 - ITALIA - Emilia-Romagna - RN, San Giovanni in Marignano


nuovo argomento
rispondi
Pagina 1 di 1 [ 2 messaggi ]
Autore Messaggio
 Oggetto del messaggio: Ophion sp. - Ichneumonidae Ophioninae
MessaggioInviato: 29/03/2011, 17:18 
Avatar utente

Iscritto il: 09/12/2010, 15:21
Messaggi: 1430
Località: San Giovanni in Marignano (RN)
Nome: Fabio Talamelli
Preso alla luce Romagna San Giovanni in Marignano (RN) lunghezza cm 18


imenottero.jpg


_________________
Fabio Talamelli
Centro Studi Naturalistici Valconca
talamellif@libero.it
http://www.csnvalconca.it
Tel. 3384150775
Top
profilo
 Oggetto del messaggio: Re: insetti da determinare
MessaggioInviato: 29/03/2011, 18:14 
Avatar utente

Iscritto il: 06/02/2009, 9:02
Messaggi: 1429
Località: Verona - Roma - Foggia e sporadicamente Padova
Nome: Filippo Di Giovanni
Un Ophion accartocciato (Ichneumonidae Ophioninae) :lol:

Pippo

_________________
"Non posso separare il piacere estetico che provo nel vedere una farfalla dal piacere scientifico di sapere che cosa è" (V.Nabokov)


Top
profilo
Visualizza ultimi messaggi:  Ordina per  
nuovo argomento
rispondi
Pagina 1 di 1 [ 2 messaggi ]

Tutti gli orari sono UTC + 1 ora [ ora legale ]


Chi c’è in linea

Visitano il forum: Nessuno e 1 ospite


Non puoi aprire nuovi argomenti
Non puoi rispondere negli argomenti
Non puoi modificare i tuoi messaggi
Non puoi cancellare i tuoi messaggi
Non puoi inviare allegati

Cerca per:
Vai a:  
cron