| Autore |
Messaggio |
|
marco paglialunga
|
Inviato: 27/04/2012, 20:02 |
|
Iscritto il: 11/11/2009, 20:54 Messaggi: 4857 Località: Pesaro
Nome: Marco Paglialunga
|
Oggi il maschietto, ieri la femminuccia dai tronchi da cui sono usciti un mare di Pyrrhidium viewtopic.php?f=145&t=32512&hilit=sanguineumForse un probabile Neoxorides nitens (Gravenhorst, 1829) visto che è un loro fan 
_________________ O voi ch'avete li 'ntelletti sani, mirate la dottrina che s'asconde sotto 'l velame de li versi strani (InfeRRno - canto IX - vv. 61-63)
|
|
| Top |
|
 |
|
Eopteryx
|
Inviato: 27/04/2012, 22:17 |
|
Iscritto il: 06/02/2009, 9:02 Messaggi: 1429 Località: Verona - Roma - Foggia e sporadicamente Padova
Nome: Filippo Di Giovanni
|
Po esse... Ma la venatura alare del maschio è l'unica cosa che vedo, ed è un po' poco per arrivare ad una conferma. Se li prepari ne riparliamo. Pippo 
_________________ "Non posso separare il piacere estetico che provo nel vedere una farfalla dal piacere scientifico di sapere che cosa è" (V.Nabokov)
|
|
| Top |
|
 |
|
marco paglialunga
|
Inviato: 17/05/2012, 17:04 |
|
Iscritto il: 11/11/2009, 20:54 Messaggi: 4857 Località: Pesaro
Nome: Marco Paglialunga
|
Pronti 
_________________ O voi ch'avete li 'ntelletti sani, mirate la dottrina che s'asconde sotto 'l velame de li versi strani (InfeRRno - canto IX - vv. 61-63)
|
|
| Top |
|
 |
|
Eopteryx
|
Inviato: 18/05/2012, 15:28 |
|
Iscritto il: 06/02/2009, 9:02 Messaggi: 1429 Località: Verona - Roma - Foggia e sporadicamente Padova
Nome: Filippo Di Giovanni
|
|
E allora no... Vedendoli meglio, direi che sono Pimplinae e credo possano essere dei Dolichomitus (specialmente se i tergiti addominali, visti da sopra, presentano delle intaccature lateralmente che vanno dalla base del tergite fino a metà). Nel qual caso, per avere un'identificazione dovrei vedere gli esemplari allo stereoscopio.
Ciao, Pippo
_________________ "Non posso separare il piacere estetico che provo nel vedere una farfalla dal piacere scientifico di sapere che cosa è" (V.Nabokov)
|
|
| Top |
|
 |
|
marco paglialunga
|
Inviato: 18/05/2012, 16:00 |
|
Iscritto il: 11/11/2009, 20:54 Messaggi: 4857 Località: Pesaro
Nome: Marco Paglialunga
|
Eopteryx ha scritto: E allora no... Vedendoli meglio, direi che sono Pimplinae e credo possano essere dei Dolichomitus (specialmente se i tergiti addominali, visti da sopra, presentano delle intaccature lateralmente che vanno dalla base del tergite fino a metà). Nel qual caso, per avere un'identificazione dovrei vedere gli esemplari allo stereoscopio.
Ciao, Pippo Grazie Pippo...provo a darci un'occhiata!
_________________ O voi ch'avete li 'ntelletti sani, mirate la dottrina che s'asconde sotto 'l velame de li versi strani (InfeRRno - canto IX - vv. 61-63)
|
|
| Top |
|
 |
|
marco paglialunga
|
Inviato: 19/05/2012, 23:20 |
|
Iscritto il: 11/11/2009, 20:54 Messaggi: 4857 Località: Pesaro
Nome: Marco Paglialunga
|
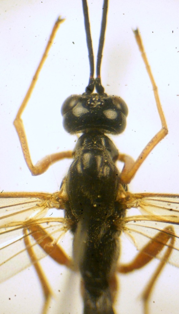
Mah...io ci provo  delle intaccature dici e...?
_________________ O voi ch'avete li 'ntelletti sani, mirate la dottrina che s'asconde sotto 'l velame de li versi strani (InfeRRno - canto IX - vv. 61-63)
|
|
| Top |
|
 |
|
Eopteryx
|
Inviato: 20/05/2012, 9:13 |
|
Iscritto il: 06/02/2009, 9:02 Messaggi: 1429 Località: Verona - Roma - Foggia e sporadicamente Padova
Nome: Filippo Di Giovanni
|
Giusto per capirci. Tuttavia non è un carattere che delimita un genere, piuttosto un gruppo di generi. Per un'identificazione bisogna vedere l'esemplare. Pippo
_________________ "Non posso separare il piacere estetico che provo nel vedere una farfalla dal piacere scientifico di sapere che cosa è" (V.Nabokov)
|
|
| Top |
|
 |
|