Benvenuto Ospite

Forum Entomologi Italiani

www.entomologiitaliani.net/forum
 
Oggi è 28/04/2026, 22:03

Tutti gli orari sono UTC + 1 ora [ ora legale ]

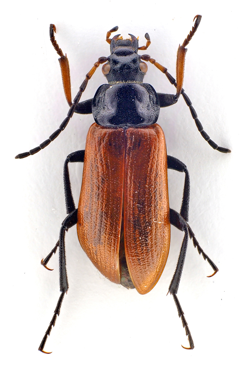
Omophlus (Odontomophlus) dispar A. Costa, 1847 - Tenebrionidae Alleculinae

2.VI.2012 - ITALIA - Marche - MC, San Severino Marche


nuovo argomento
rispondi
Pagina 1 di 1 [ 5 messaggi ]
Autore Messaggio
MessaggioInviato: 28/02/2013, 14:27 
Avatar utente

Iscritto il: 10/05/2009, 15:30
Messaggi: 7183
Località: Ancona
Nome: Giacomo Giovagnoli
Credo sia un bell'Omophlus (Odontomophlus) dispar A. Costa, 1847...
viewtopic.php?f=178&t=35429

Preso il 02.VI.2012 a San Severino Marche (Macerata) su una infiorescenza di biancospino...
La prossima volta li guardo meglio e ne prendo di più!!! (Ho solo questo! :oops: )

[grazie zio per le foto!!! :birra: ]

Dimensioni: 10mm
Comb0679_17jcr.jpg


Comb0680_36jcr.jpg


Comb0681_38jcr.jpg



Ciao :)

_________________
Immagine Giacomo


Top
profilo
MessaggioInviato: 28/02/2013, 19:40 
Avatar utente

Iscritto il: 23/06/2010, 19:05
Messaggi: 2591
Località: Pescara
Nome: Alessio Morelli
:shock: :shock:
Botta e risposta insomma!... ma solo io trovo sempre e solo il lepturoides? :devil:

Bella specie!


Top
profilo
MessaggioInviato: 03/03/2014, 10:13 
Avatar utente

Iscritto il: 02/12/2012, 18:53
Messaggi: 205
Località: roma
Nome: alessandro bruno biscaccianti
visto che sei di pescara, se vai sulla majella, p. es. tra palena e il quarto santa chiara, tra maggio e giugno sui biancospini e sui cornioli troverai anche O. dispar e O. rufitarsis (e anche la Gonodera metallica se vuoi...). tienimi informato delle tue catture di alleculidi.
ciao...


Top
profilo
MessaggioInviato: 03/03/2014, 12:55 
Avatar utente

Iscritto il: 23/06/2010, 19:05
Messaggi: 2591
Località: Pescara
Nome: Alessio Morelli
alebisca ha scritto:
visto che sei di pescara, se vai sulla majella, p. es. tra palena e il quarto santa chiara, tra maggio e giugno sui biancospini e sui cornioli troverai anche O. dispar e O. rufitarsis (e anche la Gonodera metallica se vuoi...). tienimi informato delle tue catture di alleculidi.
ciao...

Grazie per queste utili indicazioni. Alla fine l'O. dispar sono riuscito a trovarlo, ma l'O. rifitarsis decisamente no. In quelle zone di cui parli evidentemente mi ci dovrò recare :sma: .
Ti terrò informato, anzi ti mando subito un mp.
:hi:


Top
profilo
MessaggioInviato: 03/03/2014, 23:19 
Avatar utente

Iscritto il: 02/12/2012, 18:53
Messaggi: 205
Località: roma
Nome: alessandro bruno biscaccianti
se mi informi in anticipo ti suggerisco posti buoni per raccogliere specie interessanti... magari ci potremmo anche andare assieme!


Top
profilo
Visualizza ultimi messaggi:  Ordina per  
nuovo argomento
rispondi
Pagina 1 di 1 [ 5 messaggi ]

Tutti gli orari sono UTC + 1 ora [ ora legale ]


Chi c’è in linea

Visitano il forum: Nessuno e 9 ospiti


Non puoi aprire nuovi argomenti
Non puoi rispondere negli argomenti
Non puoi modificare i tuoi messaggi
Non puoi cancellare i tuoi messaggi
Non puoi inviare allegati

Cerca per:
Vai a: