| Forum Entomologi Italiani https://www.entomologiitaliani.net/public/forum/phpBB3/ |
|
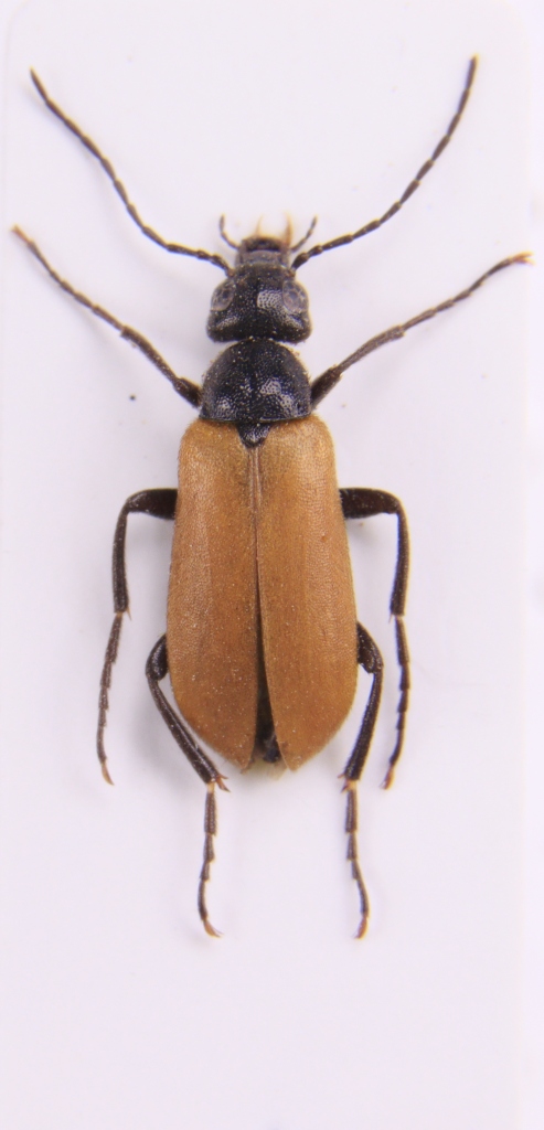
| Euzonitis fulvipennis (Fabricius, 1792) - Meloidae https://www.entomologiitaliani.net/public/forum/phpBB3/viewtopic.php?f=179&t=101958 |
Pagina 1 di 1 |
| Autore: | curci [ 23/03/2023, 0:30 ] | ||
| Oggetto del messaggio: | Euzonitis fulvipennis (Fabricius, 1792) - Meloidae | ||
Please help identify the species. length - 7,8 mm
|
|||
| Autore: | togaspain [ 24/03/2023, 9:09 ] |
| Oggetto del messaggio: | Re: meloidae from Ukraine |
Euzonitis fulvipennis (Fabricius, 1792) Saluti! Tomasz |
|
| Autore: | Marco A. Bologna [ 11/02/2024, 13:50 ] |
| Oggetto del messaggio: | Re: Euzonitis fulvipennis (Fabricius, 1792) - Meloidae |
I am not so sure about fulvipennis; a similar species is adustipennis. It is necessary to check the specimen or to analyze more detailed pictures (marcoalberto.bologna@uniroma3.it) Marco |
|
| Pagina 1 di 1 | Tutti gli orari sono UTC + 1 ora [ ora legale ] |
| Powered by phpBB® Forum Software © phpBB Group http://www.phpbb.com/ |
|