Benvenuto Ospite

Forum Entomologi Italiani

www.entomologiitaliani.net/forum
 
Oggi è 17/12/2025, 21:34

Tutti gli orari sono UTC + 1 ora [ ora legale ]

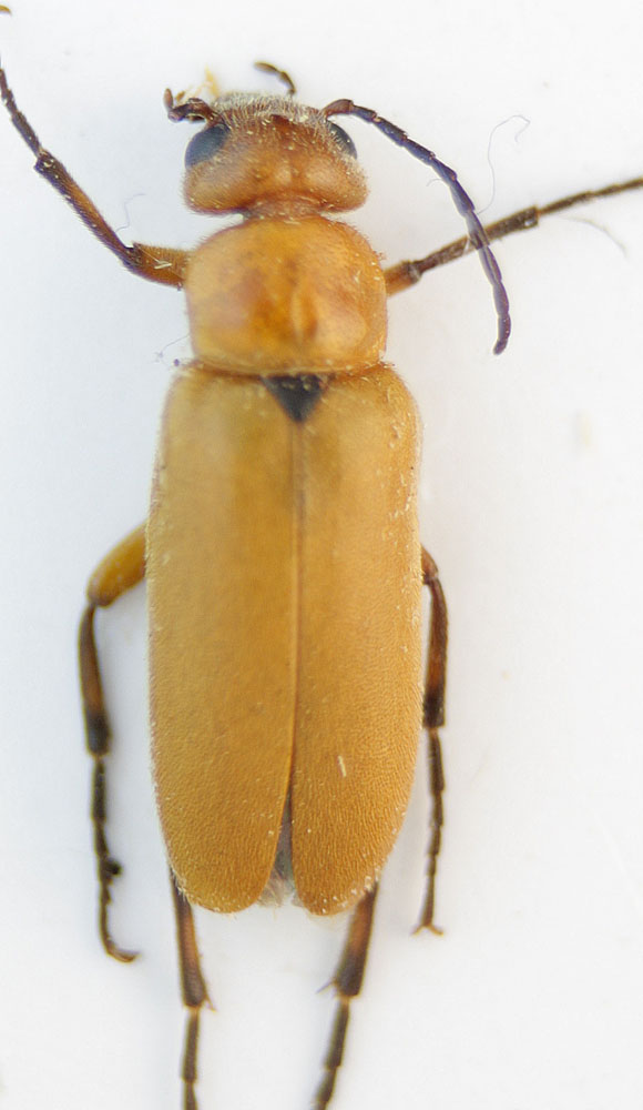
Zonitis flava Fabricius, 1775 cf.- Meloidae Nemognathinae Nemognathini

9.VI.2007 - BULGARIA - EE, Stara Zagora


nuovo argomento
rispondi
Pagina 1 di 1 [ 2 messaggi ]
Autore Messaggio
MessaggioInviato: 27/12/2010, 21:59 
 

Iscritto il: 03/09/2010, 14:07
Messaggi: 930
Località: Bulgaria
Nome: Georgi
Stara Zagora, 09.06.2007


Meloidae1.jpg

Top
profilo
 Oggetto del messaggio: Re: Meloidae1-Bulgaria
MessaggioInviato: 02/02/2011, 19:04 
 

Iscritto il: 10/06/2010, 16:05
Messaggi: 823
Nome: Marco A. Bologna
Possibly it is Zonitis flava
Marco Bologna


Top
profilo
Visualizza ultimi messaggi:  Ordina per  
nuovo argomento
rispondi
Pagina 1 di 1 [ 2 messaggi ]

Tutti gli orari sono UTC + 1 ora [ ora legale ]


Chi c’è in linea

Visitano il forum: Nessuno e 1 ospite


Non puoi aprire nuovi argomenti
Non puoi rispondere negli argomenti
Non puoi modificare i tuoi messaggi
Non puoi cancellare i tuoi messaggi
Non puoi inviare allegati

Cerca per:
Vai a: