Benvenuto Ospite

Forum Entomologi Italiani

www.entomologiitaliani.net/forum
 
Oggi è 19/05/2026, 13:43

Tutti gli orari sono UTC + 1 ora [ ora legale ]

Zonitis (Zonitis) flava Fabricius, 1775 Dettagli della specie

13.IV.2012 - MAROCCO - EE, (Safi) Foce Oued Tensift legit Leo & Sechi


nuovo argomento
rispondi
Pagina 1 di 1 [ 7 messaggi ]
Autore Messaggio
MessaggioInviato: 29/07/2012, 22:43 
Avatar utente

Iscritto il: 04/02/2009, 17:49
Messaggi: 5558
Località: Cagliari
Nome: Daniele Sechi
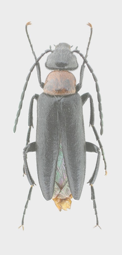
Nella nostra spedizione marocchina di aprile abbiamo raccolto pochissimi meloidi, questa specie, che per diversi caratteri mi porta al genere Zonitis, credo sia una delle più interessanti.

Direi che non è una delle specie presenti in Italia, nel catalogo di I. LÖBL & A. SMETANA trovo una Zonitis ruficollis J. Frivaldszky, 1877 con la seguente distribuzione
E: GR (Kriti) N: AG LB A: IS JO SY TR
Se fosse lei credo sarebbe nuova per il Marocco.
Il maschio della foto è lungo 1 cm esatto.

Zonitis forum.jpg


Copia di DSCF2013.jpg



PS: poi per i soliti consigli fotografici, e per i tanti problemi che mi ha creato questa foto, chiederò ai miei spacciatori di fiducia :mrgreen:

_________________
:hi:
Daniele


Top
profilo
 Oggetto del messaggio: Re: Zonitis sp. - Meloidae
MessaggioInviato: 29/07/2012, 22:56 
Avatar utente

Iscritto il: 30/12/2009, 22:20
Messaggi: 31564
Località: Roma
Nome: Maurizio Gigli
Per me questa foto è troppo chiara, ovvero sovraesposta. ALmeno, sui miei monitor si vede troppo chiara, diventando sbiadita. Ho provato a correggerla un po', ma dalla versione ridotta ed in jpg la qualità degrada rapidamente.

Zonitis forum.jpg


_________________
Maurizio Gigli
http://utenti.romascuola.net/bups
http://bup.xoom.it/


Top
profilo
 Oggetto del messaggio: Re: Zonitis sp. - Meloidae
MessaggioInviato: 30/07/2012, 6:32 
Avatar utente

Iscritto il: 30/12/2009, 22:20
Messaggi: 31564
Località: Roma
Nome: Maurizio Gigli
Da quanto vedo sul sito di Jean Claude Ringenbach, dovrebbe proprio essere Zonitis ruficollis (la cita dubitativamente del Marocco, dove ci sarà certamente, vista l'enorme area di distribuzione che presenta questa specie, che a Est arriva fino al caucaso, Iran e Penisola Arabica).

_________________
Maurizio Gigli
http://utenti.romascuola.net/bups
http://bup.xoom.it/


Top
profilo
 Oggetto del messaggio: Re: Zonitis sp. - Meloidae
MessaggioInviato: 31/07/2012, 12:26 
Avatar utente

Iscritto il: 04/02/2009, 17:49
Messaggi: 5558
Località: Cagliari
Nome: Daniele Sechi
ho fatto lo stack con le immagini che avevo.
Zonitis forum.jpg


_________________
:hi:
Daniele


Top
profilo
 Oggetto del messaggio: Re: Zonitis sp. - Meloidae
MessaggioInviato: 29/08/2012, 10:06 
 

Iscritto il: 10/06/2010, 16:05
Messaggi: 826
Nome: Marco A. Bologna
Caro Daniele,
la cosa non è davvero semplice. Infatti, in Maghreb, la maggior parte delle popolazioni di Zonitis flava hanno una colorazione simile a quella della tua foto. ma analoga colorazione hanno Z. fernancastroi, Z. novercalis e Z. ruficollis. per quanto riguarda flava, fovresti controllare la forma delle spine metatibiali, comparandola con il materiale italiano: una spina è decisamente più larga dell'altra; escluderei fernancastroi, W-Mediterranea, ma che ho citato pochi anni orsono della Sicilia meridionale, per la forma del pronoto, che è decisamente più convesso; novercalis è un mistero ed io ho solo un es. dubbio in collezione; ruficollis sarebbe da controllare (comunque ad Est arriva solo al Vicino Oriente e non nella penisola arabica e Iran).
Forse a Modena potrei vederla?
Ciao, Marco


Top
profilo
 Oggetto del messaggio: Re: Zonitis sp. - Meloidae
MessaggioInviato: 30/08/2012, 1:41 
Avatar utente

Iscritto il: 04/02/2009, 17:49
Messaggi: 5558
Località: Cagliari
Nome: Daniele Sechi
Marco A. Bologna ha scritto:
Caro Daniele,
la cosa non è davvero semplice. Infatti, in Maghreb, la maggior parte delle popolazioni di Zonitis flava hanno una colorazione simile a quella della tua foto. ma analoga colorazione hanno Z. fernancastroi, Z. novercalis e Z. ruficollis. per quanto riguarda flava, fovresti controllare la forma delle spine metatibiali, comparandola con il materiale italiano: una spina è decisamente più larga dell'altra; escluderei fernancastroi, W-Mediterranea, ma che ho citato pochi anni orsono della Sicilia meridionale, per la forma del pronoto, che è decisamente più convesso; novercalis è un mistero ed io ho solo un es. dubbio in collezione; ruficollis sarebbe da controllare (comunque ad Est arriva solo al Vicino Oriente e non nella penisola arabica e Iran).
Forse a Modena potrei vederla?
Ciao, Marco


Ciao Marco, verifica anche tu la conformazione delle spine metatibiali. A sinistra l'esemplare oggetto della discussione, a destra una Zonitis flava di Sardegna. Effettivamente le spine sono simili anche se non proprio uguali.
Zonitis spine forum.jpg



A Modena non credo di andare ma se servono altri particolari per un'eventuale conferma, chiedi pure.

_________________
:hi:
Daniele


Top
profilo
 Oggetto del messaggio: Re: Zonitis sp. - Meloidae
MessaggioInviato: 31/08/2012, 8:33 
 

Iscritto il: 10/06/2010, 16:05
Messaggi: 826
Nome: Marco A. Bologna
Caro Daniele,
mi sembra flava, ma non ne sono sicurissimo. Se vieni a Modena portamela a vedere.
Ciao, M


Top
profilo
Visualizza ultimi messaggi:  Ordina per  
nuovo argomento
rispondi
Pagina 1 di 1 [ 7 messaggi ]

Tutti gli orari sono UTC + 1 ora [ ora legale ]


Chi c’è in linea

Visitano il forum: Nessuno e 1 ospite


Non puoi aprire nuovi argomenti
Non puoi rispondere negli argomenti
Non puoi modificare i tuoi messaggi
Non puoi cancellare i tuoi messaggi
Non puoi inviare allegati

Cerca per:
Vai a: