Benvenuto Ospite

Forum Entomologi Italiani

www.entomologiitaliani.net/forum
 
Oggi è 20/02/2026, 20:29

Tutti gli orari sono UTC + 1 ora [ ora legale ]

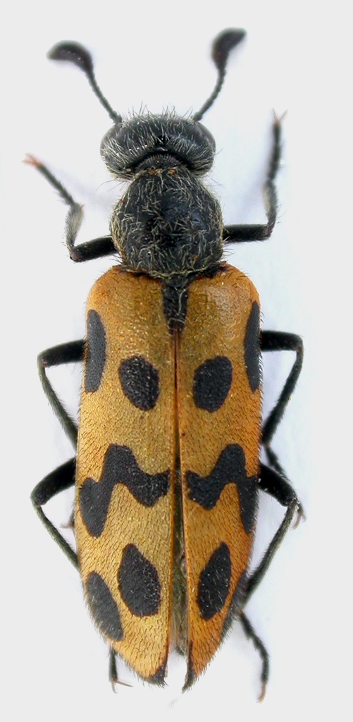
Mylabris batnensis Marseul, 1870 - Meloidae

14.V.2017 - MAROCCO - EE, MEKNES-TAFILALT – Strada N13 - 20.2 Km a 16° da Er-Rachidia, R. Rattu leg.


nuovo argomento
rispondi
Pagina 1 di 1 [ 4 messaggi ]
Autore Messaggio
MessaggioInviato: 20/05/2018, 11:00 
Avatar utente

Iscritto il: 02/09/2009, 20:57
Messaggi: 8703
Località: Cagliari
Nome: Roberto Rattu
Esemplare difficile, almeno per me, da collocare a livello di genere (Actenodia?). Misura 11 mm:

DSCN3666.JPG



Top
profilo
 Oggetto del messaggio: Re: Mylabrino da id.
MessaggioInviato: 21/05/2018, 16:17 
Avatar utente

Iscritto il: 05/02/2009, 17:47
Messaggi: 7252
Località: Cagliari
Nome: Piero Leo
Per me Mylabris batnensis Marseul, 1870

:) Ciao
Piero


Top
profilo
 Oggetto del messaggio: Re: Mylabrino da id.
MessaggioInviato: 22/05/2018, 19:11 
Avatar utente

Iscritto il: 02/09/2009, 20:57
Messaggi: 8703
Località: Cagliari
Nome: Roberto Rattu
Grazie, si direbbe proprio :ok:

:hi:


Top
profilo
MessaggioInviato: 26/11/2018, 22:59 
 

Iscritto il: 10/06/2010, 16:05
Messaggi: 825
Nome: Marco A. Bologna
Confermo. MB


Top
profilo
Visualizza ultimi messaggi:  Ordina per  
nuovo argomento
rispondi
Pagina 1 di 1 [ 4 messaggi ]

Tutti gli orari sono UTC + 1 ora [ ora legale ]


Chi c’è in linea

Visitano il forum: Nessuno e 1 ospite


Non puoi aprire nuovi argomenti
Non puoi rispondere negli argomenti
Non puoi modificare i tuoi messaggi
Non puoi cancellare i tuoi messaggi
Non puoi inviare allegati

Cerca per:
Vai a: