|
Tutti gli orari sono UTC + 1 ora [ ora legale ] |

|
| Autore | Messaggio | ||
|---|---|---|---|
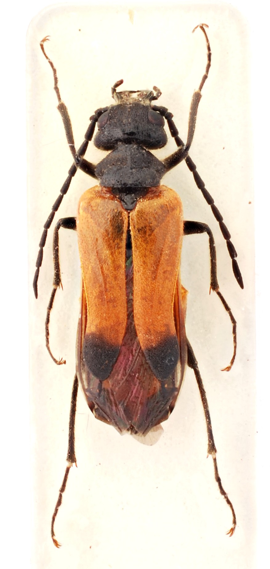
| Fumea crassiorella |
|
||
|
Iscritto il: 02/09/2009, 20:57 Messaggi: 8703 Località: Cagliari Nome: Roberto Rattu |
|
||
| Top |
|
||
| ruzzpa |
|
||
|
Iscritto il: 23/06/2010, 11:11 Messaggi: 2784 Località: Cagliari Nome: Gianpaolo Ruzzante |
|
||
| Top |
|
||
| hypotyphlus |
|
||
|
Iscritto il: 10/05/2010, 22:31 Messaggi: 4375 Località: Gavorrano (GR) Nome: marco bastianini |
|
||
| Top |
|
||
| Enoplium |
|
||
|
Iscritto il: 18/06/2009, 16:54 Messaggi: 1093 Località: Casalecchio di Reno (BO) Nome: Iuri Zappi |
|
||
| Top |
|
||
|
Tutti gli orari sono UTC + 1 ora [ ora legale ] |
Chi c’è in linea |
Visitano il forum: Nessuno e 3 ospiti |
Non puoi aprire nuovi argomenti Non puoi rispondere negli argomenti Non puoi modificare i tuoi messaggi Non puoi cancellare i tuoi messaggi Non puoi inviare allegati |