| Forum Entomologi Italiani https://www.entomologiitaliani.net/public/forum/phpBB3/ |
|
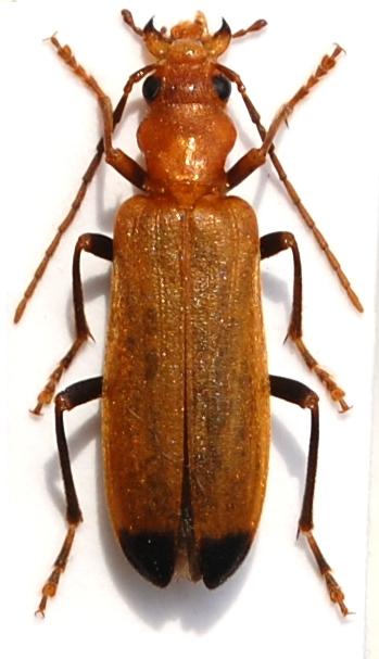
| Nacerdes melanura (Linnaeus, 1758) - Oedemeridae https://www.entomologiitaliani.net/public/forum/phpBB3/viewtopic.php?f=180&t=95419 |
Pagina 1 di 1 |
| Autore: | Honza [ 12/06/2021, 13:12 ] | ||
| Oggetto del messaggio: | Nacerdes melanura (Linnaeus, 1758) - Oedemeridae | ||
Nacerdes melanura (Linnaeus, 1758)
|
|||
| Pagina 1 di 1 | Tutti gli orari sono UTC + 1 ora [ ora legale ] |
| Powered by phpBB® Forum Software © phpBB Group http://www.phpbb.com/ |
|