| Forum Entomologi Italiani https://www.entomologiitaliani.net/public/forum/phpBB3/ |
|
| Heterotteri "lignei" variazione sul tema 2 Sasso Marconi (BO) https://www.entomologiitaliani.net/public/forum/phpBB3/viewtopic.php?f=19&t=5663 |
Pagina 1 di 1 |
| Autore: | Loriscola [ 25/02/2010, 22:42 ] |
| Oggetto del messaggio: | Heterotteri "lignei" variazione sul tema 2 Sasso Marconi (BO) |
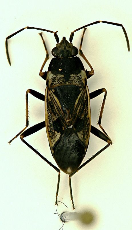
Sasso Marconi (BO) - Palazzo Rossi, 22.II.2010 "dentro" un pioppo morto |
|
| Autore: | StagBeetle [ 26/02/2010, 15:06 ] |
| Oggetto del messaggio: | Re: Heterotteri "lignei" variazione sul tema 2 Sasso Marconi (BO) |
Credo Rhyparochromus vulgaris... Ciao
|
|
| Autore: | Loriscola [ 27/02/2010, 0:43 ] |
| Oggetto del messaggio: | Re: Heterotteri "lignei" variazione sul tema 2 Sasso Marconi (BO) |
Mille grazie .....per tutti
|
|
| Pagina 1 di 1 | Tutti gli orari sono UTC + 1 ora [ ora legale ] |
| Powered by phpBB® Forum Software © phpBB Group http://www.phpbb.com/ |
|