Benvenuto Ospite

Forum Entomologi Italiani

www.entomologiitaliani.net/forum
 
Oggi è 26/02/2026, 11:24

Tutti gli orari sono UTC + 1 ora [ ora legale ]

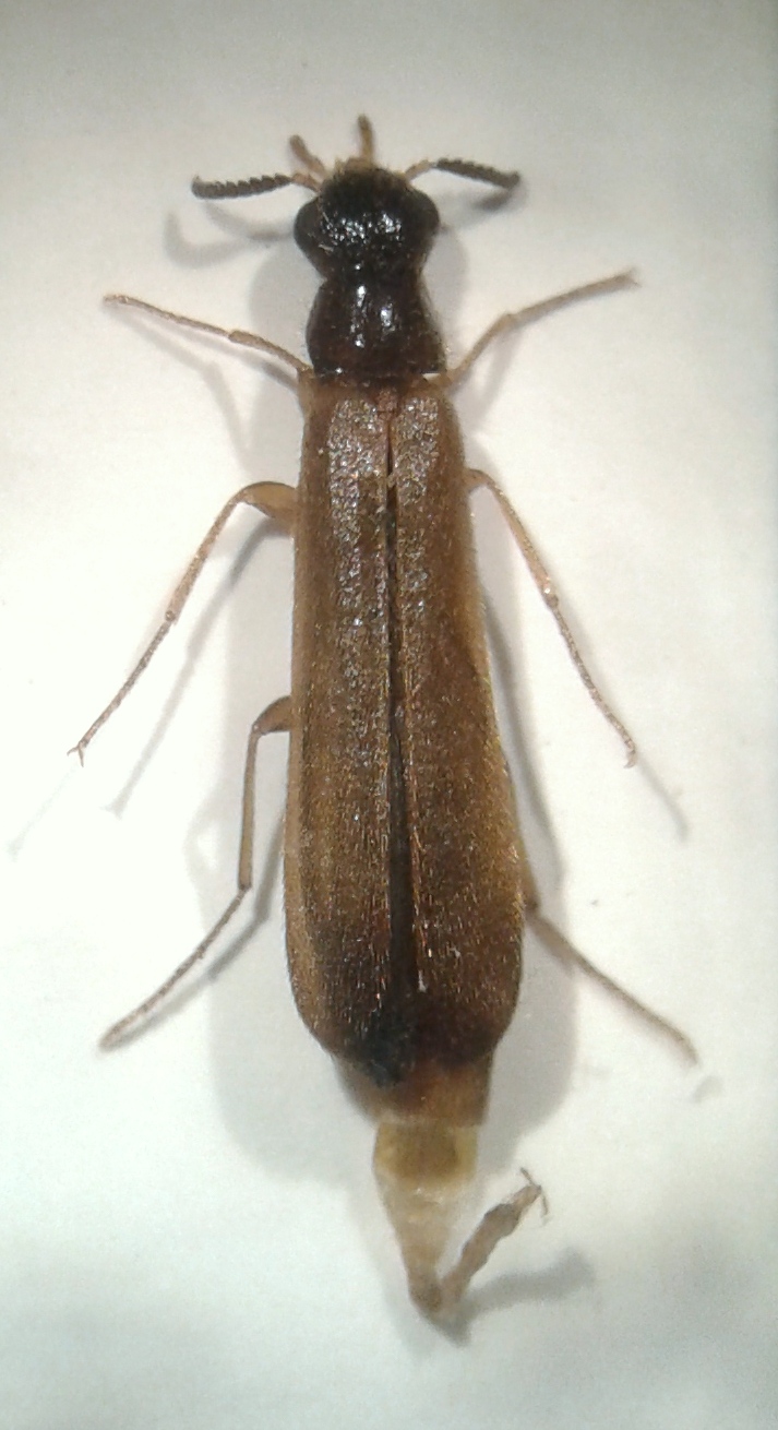
Lymexylon navale (Linnaeus, 1758) (cf.) - Lymexylidae

27.V.2017 - ITALIA - Emilia-Romagna - BO, Madonna dell'Acero mt. 1.300


nuovo argomento
rispondi
Pagina 1 di 1 [ 2 messaggi ]
Autore Messaggio
MessaggioInviato: 05/06/2017, 8:17 
Avatar utente

Iscritto il: 05/02/2009, 17:25
Messaggi: 4894
Località: Zola Predosa (BO)
Nome: Loris Colacurcio
Raccolto sfalciando un prato "basso" in una radura nell'alto Appennino bolognese.
Guardando sul forum, mi sembra molto simile all'Hylecoetus, voi che dite ?

Lunghezza: 6 mm.

20170602_191022.jpg


_________________
Loris


Top
profilo
MessaggioInviato: 09/06/2017, 8:40 
Avatar utente

Iscritto il: 27/02/2009, 19:34
Messaggi: 857
Località: Belluno
Nome: Enzo GATTI
Ciao Loris
direi più facilmente Lymexylon navale (Linnaeus, 1758)

Se mi fai avere l'esemplare te lo determino con sicurezza :ok: :ok:

Enzo :hi: :hi:


Top
profilo
Visualizza ultimi messaggi:  Ordina per  
nuovo argomento
rispondi
Pagina 1 di 1 [ 2 messaggi ]

Tutti gli orari sono UTC + 1 ora [ ora legale ]


Chi c’è in linea

Visitano il forum: Nessuno e 4 ospiti


Non puoi aprire nuovi argomenti
Non puoi rispondere negli argomenti
Non puoi modificare i tuoi messaggi
Non puoi cancellare i tuoi messaggi
Non puoi inviare allegati

Cerca per:
Vai a: