Benvenuto Ospite

Forum Entomologi Italiani

www.entomologiitaliani.net/forum
 
Oggi è 16/12/2025, 0:21

Tutti gli orari sono UTC + 1 ora [ ora legale ]

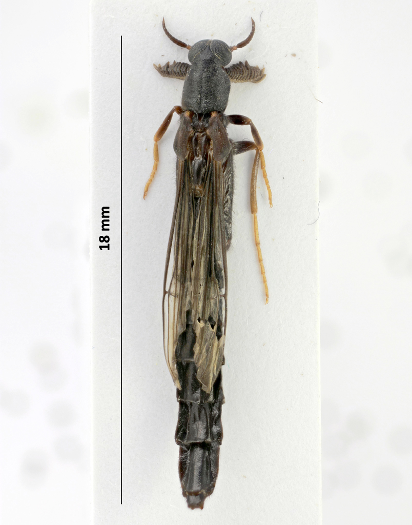
Atractocerus brevicornis (Linnaeus, 1766) - Lymexylidae - Gabon

XI.2019 - GABON - EE, Parc National des Monts de Cristal, Kinguélé, 19-30.XI.2019, legit D. Sechi


nuovo argomento
rispondi
Pagina 1 di 1 [ 1 messaggio ]
Autore Messaggio
MessaggioInviato: 09/08/2020, 9:19 
Avatar utente

Iscritto il: 04/02/2009, 17:49
Messaggi: 5524
Località: Cagliari
Nome: Daniele Sechi
Atractocerus brevicornis (Linnaeus, 1766), identificato da Paulus F. Hannes è davvero un gigante tra i Limexylidae, ho una femmina lunga 55 mm! Di femmine se ne incontrava qualcuna ai teli ma ho raccolto un unico maschio.
Credo che anche quello postato da Silvano delle edizioni precedenti appartenga alla stessa specie. Purtroppo si deve essere mosso qualcosa durante le foto alla femmina, pazienza! :mrgreen:
Atractocerus brevicornis (Linnaeus, 1766) F rid.jpg

Atractocerus brevicornis (Linnaeus, 1766) M rid.jpg


_________________
:hi:
Daniele


Top
profilo
Visualizza ultimi messaggi:  Ordina per  
nuovo argomento
rispondi
Pagina 1 di 1 [ 1 messaggio ]

Tutti gli orari sono UTC + 1 ora [ ora legale ]


Chi c’è in linea

Visitano il forum: Nessuno e 1 ospite


Non puoi aprire nuovi argomenti
Non puoi rispondere negli argomenti
Non puoi modificare i tuoi messaggi
Non puoi cancellare i tuoi messaggi
Non puoi inviare allegati

Cerca per:
Vai a:  
cron