Benvenuto Ospite

Forum Entomologi Italiani

www.entomologiitaliani.net/forum
 
Oggi è 07/03/2026, 12:33

Tutti gli orari sono UTC + 1 ora [ ora legale ]

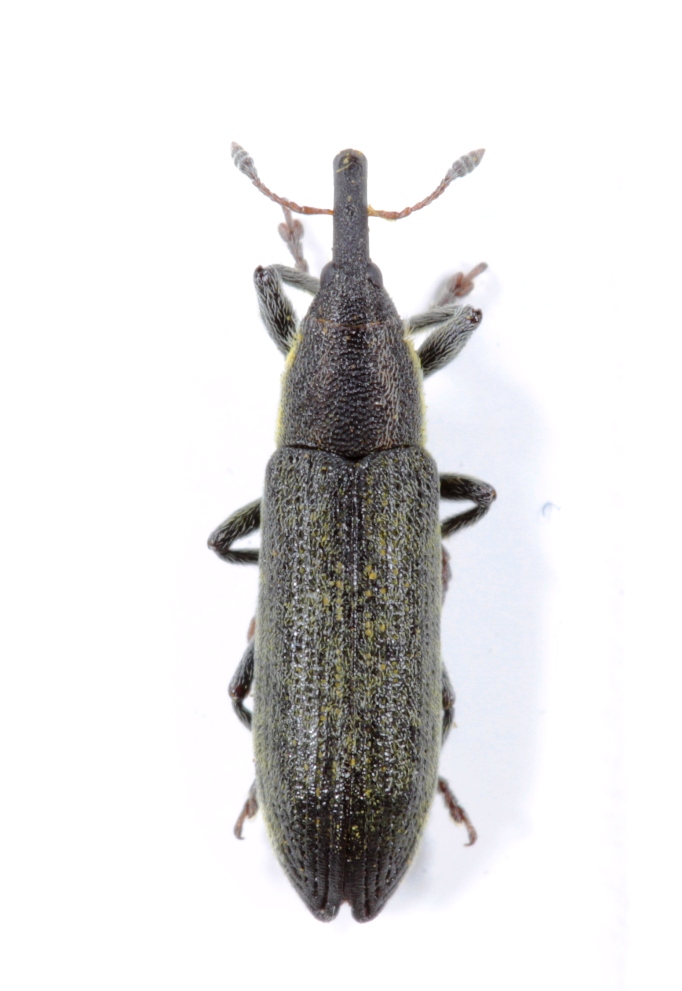
Lixus (Epimeces) filiformis (Fabricius, 1781) - Curculionidae

24.V.2015 - ITALIA - Lazio - RM, Comune di Roma, M.te d'Oro e dintorni, adiacente Via di Marco Simone


nuovo argomento
rispondi
Pagina 1 di 1 [ 2 messaggi ]
Autore Messaggio
MessaggioInviato: 11/06/2015, 16:49 
Avatar utente

Iscritto il: 29/06/2010, 22:51
Messaggi: 830
Località: Fonte Nuova (RM)
Nome: Davide Brocchieri
qui invece dovremmo essere nel genere Lixus, giusto?, 9 mm compreso rostro
IMG_0062.JPG


_________________
Ciao
Davide :hi:


Top
profilo
 Oggetto del messaggio: Re: Curculionidae
MessaggioInviato: 12/06/2015, 21:50 
Avatar utente

Iscritto il: 09/12/2010, 15:21
Messaggi: 1430
Località: San Giovanni in Marignano (RN)
Nome: Fabio Talamelli
Lixus (Epimeces) filiformis (Fabricius 1781)

_________________
Fabio Talamelli
Centro Studi Naturalistici Valconca
talamellif@libero.it
http://www.csnvalconca.it
Tel. 3384150775


Top
profilo
Visualizza ultimi messaggi:  Ordina per  
nuovo argomento
rispondi
Pagina 1 di 1 [ 2 messaggi ]

Tutti gli orari sono UTC + 1 ora [ ora legale ]


Chi c’è in linea

Visitano il forum: Nessuno e 1 ospite


Non puoi aprire nuovi argomenti
Non puoi rispondere negli argomenti
Non puoi modificare i tuoi messaggi
Non puoi cancellare i tuoi messaggi
Non puoi inviare allegati

Cerca per:
Vai a: