| Autore |
Messaggio |
|
Loriscola
|
Inviato: 29/01/2011, 0:17 |
|
Iscritto il: 05/02/2009, 17:25 Messaggi: 4894 Località: Zola Predosa (BO)
Nome: Loris Colacurcio
|
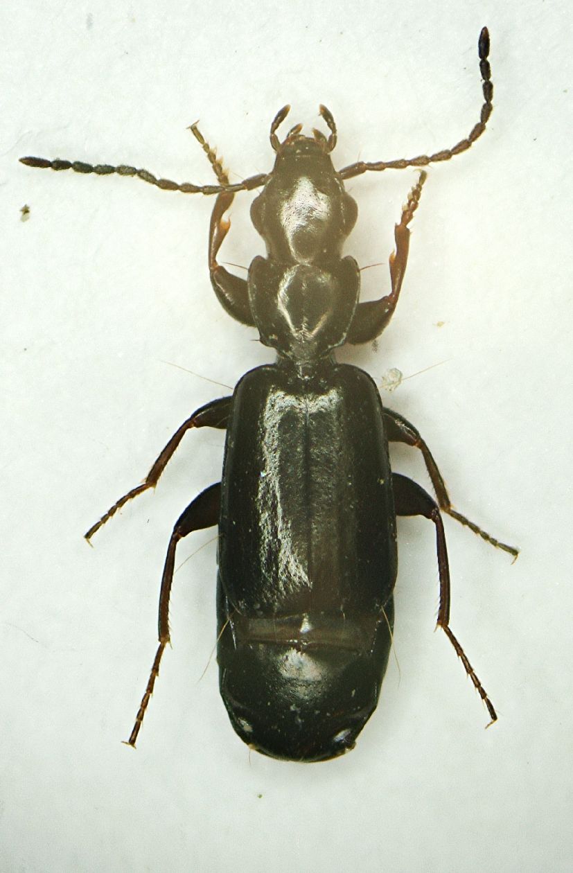
Vi sottopongo una tripletta di carabidini raccolti recentemente nelle mie spedizioni al vaglio. Ad una prima occhiata li avevo scambiati tutti per la stessa specie, ma è evidente che mi sbagliavo. Sono tutti dai tegumenti piuttosto molli e si rovinano in un attimo  ...mentre li prepari. Il, anzi i terzi li ho raccolti setacciando il terreno ai piedi di un palo in cemento Pensavo al Microlestes fulvibarbis, ma a differenza di altri esemplari, questi non presentano l'articolo antennale rossastro (almeno i primi due  ) e mi sembrano nettamente più slanciati.... 
_________________ Loris
|
|
| Top |
|
 |
|
Andrea Pergine
|
Inviato: 29/01/2011, 0:53 |
|
Iscritto il: 22/05/2009, 21:00 Messaggi: 2781 Località: Pergine Valsugana (TN)
Nome: Andrea Carlin
|
|
_________________ Andrea Carlin, Pergine Valsugana (TN) carlin.andrea(AT)gmail.com
Nota: tutti gli esemplari inseriti nelle discussioni aperte da me sono da ritenere "Andrea Carlin legit" se non diversamente specificato.
|
|
| Top |
|
 |
|
magosti
|
Inviato: 29/01/2011, 11:12 |
|
Iscritto il: 08/11/2010, 12:40 Messaggi: 1722 Località: Brescia
Nome: Mauro Agosti
|
Secondo me sono tutti e tre Microlestes.  Per la specie senza estrarre l'edeago non è molto facile arrivarci. Dovresti vedere almeno se l'ultimo segmento addominale del maschio ventralmente ha un'area punteggiata o no e se le tibie mediane e posteriori al loro apice interno sono prolungate a punta o meno. Anche le dimensioni potrebbero aiutare forse un pochino... Per quanto mi riguarda risulta comunque un genere complicato. Qualcuno più esperto saprà sicuramente fare meglio di me! 
|
|
| Top |
|
 |
|
gabrif
|
Inviato: 29/01/2011, 13:11 |
|
Iscritto il: 14/03/2009, 12:59 Messaggi: 3259 Località: Milano
Nome: Gabriele Franzini
|
|
Certamente Microlestes. Mi sembrano 2 specie, il primo è diverso dagli altri due.
Ciao, G.
|
|
| Top |
|
 |
|
Notoxus59
|
Inviato: 29/01/2011, 14:44 |
|
Iscritto il: 06/02/2009, 9:03 Messaggi: 6379 Località: Bubano di Mordano (Bologna)
Nome: Augusto Degiovanni
|
3 Microlestes di cui 3 maschi  per cui ti tocca 
|
|
| Top |
|
 |
|
Anillus
|
Inviato: 29/01/2011, 15:04 |
|
Iscritto il: 18/02/2009, 0:24 Messaggi: 3909 Località: Asciano (Siena)
Nome: Andrea Petrioli
|
Notoxus59 ha scritto: 3 Microlestes di cui 3 maschi  per cui ti tocca  ....  ....sei sicuro che il primo sia un maschietto Io estrarrei gli altri due 
_________________ ______ Andrea
|
|
| Top |
|
 |
|
Notoxus59
|
Inviato: 29/01/2011, 15:33 |
|
Iscritto il: 06/02/2009, 9:03 Messaggi: 6379 Località: Bubano di Mordano (Bologna)
Nome: Augusto Degiovanni
|
Anillus ha scritto: Notoxus59 ha scritto: 3 Microlestes di cui 3 maschi  per cui ti tocca  ....  ....sei sicuro che il primo sia un maschietto  Io estrarrei gli altri due  In effetti il tarso di SX mi sembrava più da maschietto, mentre quello di destra sicuramente no 
|
|
| Top |
|
 |
|
gomphus
|
Inviato: 29/01/2011, 17:28 |
|
Iscritto il: 05/02/2009, 17:31 Messaggi: 9527 Località: milano
Nome: maurizio pavesi
|
in realtà nei Microlestes andrebbero estratte anche le femmine  ... solo che è una cosa mooooolto più complicata  ...
_________________ ***************** maurizio
|
|
| Top |
|
 |
|
vittorino monzini
|
Inviato: 29/01/2011, 18:24 |
|
Iscritto il: 30/07/2010, 8:40 Messaggi: 597
Nome: vittorino.monzini
|
|
per i primi due è un po problematico prendere posizione, ma il terzo direi che è un Microlestes fulvibasis, è l'unico ad avere il primo articolo antennale rossiccio
|
|
| Top |
|
 |
|
Loriscola
|
Inviato: 03/02/2011, 21:49 |
|
Iscritto il: 05/02/2009, 17:25 Messaggi: 4894 Località: Zola Predosa (BO)
Nome: Loris Colacurcio
|
Eccomi qua con i Microlestes...sono altri esemplari (non ero nelle condizioni mentali per staccare e sezionare quelli già preparati), ma provengono dalla stessa località e dagli stessi ambienti. Beh, io non ci apisco molto, ma ai miei occhi vedo tre edeagi diversi. I casi sono 2: ho rovinato e reso irriconoscibili i sopra citati organi, oppure siamo di fronte a 3 specie. Ditemi voi.... Purtroppo ho sperimentato un nuovo sistema di illuminazione, ottimo per vedere meglio, molto meno efficace (per ora) per le fotografie La lunghezza di queste bestiole varia tra i 2.8 ed i 3 mm. Raccolti tutti il 30.01.2011 nel terreno (scavato, lavato e setacciato) raccolto ai piedi di pali, muri e/o alberi, ovviamente a Palazzo Rossi - Sasso Marconi (BO).
_________________ Loris
|
|
| Top |
|
 |
|
ricdoc57
|
Inviato: 03/02/2011, 23:25 |
|
Iscritto il: 08/05/2010, 22:25 Messaggi: 1463 Località: Milano
Nome: Riccardo Sciaky
|
Provo a dare la mia interpretazione basata sull'habitus delle bestiole e su quello che si riesce a vedere dell'edeago. Il primo mi sembra che sia Microlestes minutulus (Goeze, 1777), il secondo M. fulvibasis (Reitter, 1900), i successivi M. fissuralis (Reitter, 1900). Quest'ultima specie è abbastanza caratteristica per la poca sclerificazione delle elitre, che si accartocciano costantemente, anche se l'insetto è completamente maturo. Buona serata 
_________________ Riccardo
|
|
| Top |
|
 |
|
gomphus
|
Inviato: 03/02/2011, 23:30 |
|
Iscritto il: 05/02/2009, 17:31 Messaggi: 9527 Località: milano
Nome: maurizio pavesi
|
in mancanza di opinioni contrarie, credo che possiamo prenderla per buona a questo punto, come vanno "taxatì" i tre Microlestes ora identificati? AIUTOOOOO  !!!
_________________ ***************** maurizio
|
|
| Top |
|
 |
|
ricdoc57
|
Inviato: 03/02/2011, 23:32 |
|
Iscritto il: 08/05/2010, 22:25 Messaggi: 1463 Località: Milano
Nome: Riccardo Sciaky
|
Troppo onore 
_________________ Riccardo
|
|
| Top |
|
 |
|
StagBeetle
|
Inviato: 04/02/2011, 10:32 |
|
Iscritto il: 10/05/2009, 15:30 Messaggi: 7183 Località: Ancona
Nome: Giacomo Giovagnoli
|
_________________  Giacomo
|
|
| Top |
|
 |
|
Loriscola
|
Inviato: 04/02/2011, 12:06 |
|
Iscritto il: 05/02/2009, 17:25 Messaggi: 4894 Località: Zola Predosa (BO)
Nome: Loris Colacurcio
|
OK ! Prima di tutto, grazie Per la gestione del post, farò così: creo tre distinti post con le tre specie determinate e su questo post originario, evidenzierò i collegamenti alle nuove schede, con una breve spiegazione. Ovviamente le prime specie postate (quelle senza edeago, per intenderci) le lascerò solo qui. 
_________________ Loris
|
|
| Top |
|
 |
|