Benvenuto Ospite

Forum Entomologi Italiani

www.entomologiitaliani.net/forum
 
Oggi è 29/03/2026, 20:37

Tutti gli orari sono UTC + 1 ora [ ora legale ]

Xantholinus (Polydontophallus) elegans (Olivier, 1795) - Staphylinidae

14.V.2012 - ITALIA - Toscana - FI, La Gracchia Vicchio


nuovo argomento
rispondi
Pagina 1 di 1 [ 5 messaggi ]
Autore Messaggio
MessaggioInviato: 11/02/2013, 17:48 
 

Iscritto il: 03/02/2012, 20:24
Messaggi: 486
Nome: Alessandro Paladini
Trovato sul marciapiede di casa mm. 9,5 altit. m 202

Alessandro


_DSC31110001.JPG

_DSC31140002.JPG

Top
profilo
 Oggetto del messaggio: Re: Staphylinidae sp.
MessaggioInviato: 12/02/2013, 15:03 
 

Iscritto il: 06/02/2009, 9:09
Messaggi: 530
Località: Milano
Nome: Nicola Pilon
Dalla colorazione generale sembra Xantholinus elegans, ma non sono sicuro da foto.
Nic


Top
profilo
 Oggetto del messaggio: Re: Staphylinidae sp.
MessaggioInviato: 12/02/2013, 16:17 
Avatar utente

Iscritto il: 09/11/2009, 14:12
Messaggi: 5197
Località: Hradec Kralove,Czech republik
Nome: Jan Matějíček
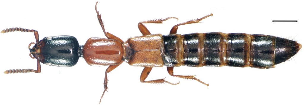
Xantholinus (Polydontophallus) elegans (Olivier, 1795)
= jarrigei Coiffait, 1956
= meridionalis auct.nec Nordmann 1837
= semirufus auct.nec Reitter 1901


Xantholinus (Polydontophallus) elegans (Olivier, 1795).jpg


_________________
Research Fields
Taxonomy, ecology, biomonitoring , faunistic of Staphylinidae
Top
profilo
 Oggetto del messaggio: Re: Staphylinidae sp.
MessaggioInviato: 12/02/2013, 17:20 
Avatar utente

Iscritto il: 09/11/2009, 14:12
Messaggi: 5197
Località: Hradec Kralove,Czech republik
Nome: Jan Matějíček
confronto

Xantholinus (Polydontophallus) elegans (Olivier, 1795)


elegans.jpg

elegans - Kopie.jpg


_________________
Research Fields
Taxonomy, ecology, biomonitoring , faunistic of Staphylinidae
Top
profilo
 Oggetto del messaggio: Re: Staphylinidae sp.
MessaggioInviato: 12/02/2013, 20:33 
 

Iscritto il: 03/02/2012, 20:24
Messaggi: 486
Nome: Alessandro Paladini
Ho controllato la punteggiatura della testa e del protorace e corrispondono perfettamente alle foto di Honza.

Grazie ad entrambi :lov2:
Alessandro


Top
profilo
Visualizza ultimi messaggi:  Ordina per  
nuovo argomento
rispondi
Pagina 1 di 1 [ 5 messaggi ]

Tutti gli orari sono UTC + 1 ora [ ora legale ]


Chi c’è in linea

Visitano il forum: Nessuno e 2 ospiti


Non puoi aprire nuovi argomenti
Non puoi rispondere negli argomenti
Non puoi modificare i tuoi messaggi
Non puoi cancellare i tuoi messaggi
Non puoi inviare allegati

Cerca per:
Vai a: