Benvenuto Ospite

Forum Entomologi Italiani

www.entomologiitaliani.net/forum
 
Oggi è 19/03/2026, 17:30

Tutti gli orari sono UTC + 1 ora [ ora legale ]

Blepharhymenus (Blepharrymorphus) mirandus Fauvel, 1899 - Staphylinidae Aleocharinae Oxypodini Blepharhymenina

1.X.2003 - ITALIA - Piemonte - CN, Sotterranei Forte Vernante


nuovo argomento
rispondi
Pagina 1 di 1 [ 10 messaggi ]
Autore Messaggio
MessaggioInviato: 25/12/2010, 1:15 
Avatar utente

Iscritto il: 10/05/2010, 22:31
Messaggi: 4375
Località: Gavorrano (GR)
Nome: marco bastianini
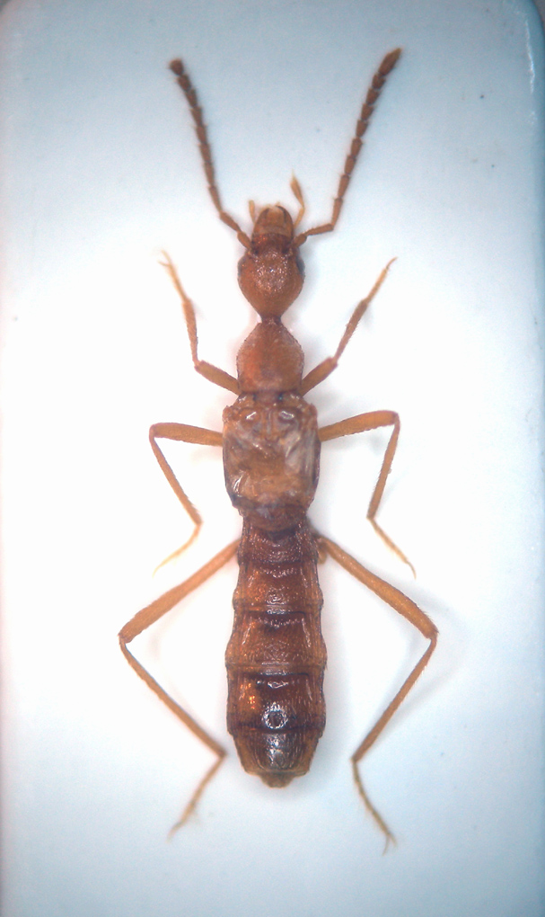
Questo dovrebbe piacere a Jan.Si tratta di uno stafilinide microftalmo specializzato di grotta.
Sotterranei Forte Vernante
(CN) 01.X.2003 leg:Bastianini M.
Dimensioni mm.6


Stafilinide microftalmo 0 copia.jpg


_________________
:to: Marco
"Le foreste a precedere le civiltà, i deserti a seguire."
François-René de Chateaubriand
Top
profilo
 Oggetto del messaggio: Re: Stafilinide microftalmo Piemonte
MessaggioInviato: 25/12/2010, 9:21 
 

Iscritto il: 18/10/2009, 17:10
Messaggi: 1341
Località: Czech Republic
Nome: Petr Kresl
Aleocharinae, similar are genera lives with ants :roll:

_________________
Ciao Petr


Top
profilo
 Oggetto del messaggio: Re: Stafilinide microftalmo Piemonte
MessaggioInviato: 26/12/2010, 19:15 
Avatar utente

Iscritto il: 04/02/2009, 17:49
Messaggi: 5555
Località: Cagliari
Nome: Daniele Sechi
Meraviglioso Marco!! (Non tu, lo stafilinide :mrgreen: ) non ti offendere.... :lol:

_________________
:hi:
Daniele


Top
profilo
 Oggetto del messaggio: Re: Stafilinide microftalmo Piemonte
MessaggioInviato: 26/12/2010, 19:17 
Avatar utente

Iscritto il: 21/05/2009, 14:59
Messaggi: 6994
Località: Parigi
Nome: Riccardo Poloni
E così l'hai trovato dalle mie parti neh...buono a sapersi. In quelle zone è pieno di sotterranei per il vino :gh: :gh:

_________________
Riccardo Poloni
La dignità degli elementi
la libertà della poesia,
al di là dei tradimenti degli uomini
è magia, è magia, è magia...
Negrita, Rotolando verso sud


Top
profilo
 Oggetto del messaggio: Re: Stafilinide microftalmo Piemonte
MessaggioInviato: 26/12/2010, 20:09 
Avatar utente

Iscritto il: 10/05/2010, 22:31
Messaggi: 4375
Località: Gavorrano (GR)
Nome: marco bastianini
Daniele Sechi ha scritto:
Meraviglioso Marco!! (Non tu, lo stafilinide :mrgreen: ) non ti offendere.... :lol:

Figurati Daniele, comunque anch'io come endogeo faccio la mia figura.Vai a vedere la discussione Santo photoshop.
:mrgreen: :mrgreen:
Plagionotus ha scritto:
E così l'hai trovato dalle mie parti neh.

Non so di preciso quali sono le tue parti, ma io ho indagato in varie occasioni la provincia di Cuneo ed è a mio parere una delle aree più ricche per gli endogei e troglobi.

_________________
:to: Marco
"Le foreste a precedere le civiltà, i deserti a seguire."
François-René de Chateaubriand


Top
profilo
 Oggetto del messaggio: Re: Stafilinide microftalmo Piemonte
MessaggioInviato: 26/12/2010, 20:53 
Avatar utente

Iscritto il: 27/08/2009, 16:11
Messaggi: 494
Località: LOMBARDIA - Besana in Brianza (MB)
Nome: Alberto Buffetti
Plagionotus ha scritto:
E così l'hai trovato dalle mie parti neh...buono a sapersi. In quelle zone è pieno di sotterranei per il vino :gh: :gh:


:roll: :roll: :roll: :roll: :roll: :roll: :roll:
Ma non abiti in provincia di Modena??????

:hi:

_________________
Ciao.
Alberto
______________________________________________________________________________________________________________
Non è la più forte delle specie che sopravvive, né la più intelligente, ma quella più reattiva ai cambiamenti. (Charles Robert Darwin)


Top
profilo
 Oggetto del messaggio: Re: Stafilinide microftalmo Piemonte
MessaggioInviato: 26/12/2010, 21:04 
Avatar utente

Iscritto il: 21/05/2009, 14:59
Messaggi: 6994
Località: Parigi
Nome: Riccardo Poloni
Sì, però sono nato e vissuto fino a 4 anni ad Alba (CN). Mio padre ha vissuto lì fino a 4 anni fa, e ci vivono ancora mia sorella, i miei nipotini, e molti vecchi amici di famiglia e non :mrgreen: :mrgreen: .

_________________
Riccardo Poloni
La dignità degli elementi
la libertà della poesia,
al di là dei tradimenti degli uomini
è magia, è magia, è magia...
Negrita, Rotolando verso sud


Top
profilo
MessaggioInviato: 18/06/2011, 13:16 
 

Iscritto il: 02/02/2011, 23:41
Messaggi: 14
Nome: Zanetti Adriano
hypotyphlus ha scritto:
Questo dovrebbe piacere a Jan.Si tratta di uno stafilinide microftalmo specializzato di grotta.
Sotterranei Forte Vernante
(CN) 01.X.2003 leg:Bastianini M.
Dimensioni mm.6


Blepharhymenus mirandus


Top
profilo
MessaggioInviato: 18/06/2011, 13:59 
Avatar utente

Iscritto il: 04/02/2009, 17:49
Messaggi: 5555
Località: Cagliari
Nome: Daniele Sechi
Adriano Zanetti ha scritto:

Blepharhymenus mirandus


Adriano puoi inserire anche autore e anno di descrizione così li inseriamo nel titolo? Grazie :ok:

_________________
:hi:
Daniele


Top
profilo
MessaggioInviato: 18/06/2011, 15:06 
Avatar utente

Iscritto il: 09/11/2009, 14:12
Messaggi: 5194
Località: Hradec Kralove,Czech republik
Nome: Jan Matějíček
Aleocharinae - Oxypodini - Blepharhymenina

Blepharhymenus (Blepharrymorphus) mirandus Fauvel, 1899

_________________
Research Fields
Taxonomy, ecology, biomonitoring , faunistic of Staphylinidae


Top
profilo
Visualizza ultimi messaggi:  Ordina per  
nuovo argomento
rispondi
Pagina 1 di 1 [ 10 messaggi ]

Tutti gli orari sono UTC + 1 ora [ ora legale ]


Chi c’è in linea

Visitano il forum: Nessuno e 2 ospiti


Non puoi aprire nuovi argomenti
Non puoi rispondere negli argomenti
Non puoi modificare i tuoi messaggi
Non puoi cancellare i tuoi messaggi
Non puoi inviare allegati

Cerca per:
Vai a: