Benvenuto Ospite

Forum Entomologi Italiani

www.entomologiitaliani.net/forum
 
Oggi è 19/03/2026, 18:36

Tutti gli orari sono UTC + 1 ora [ ora legale ]

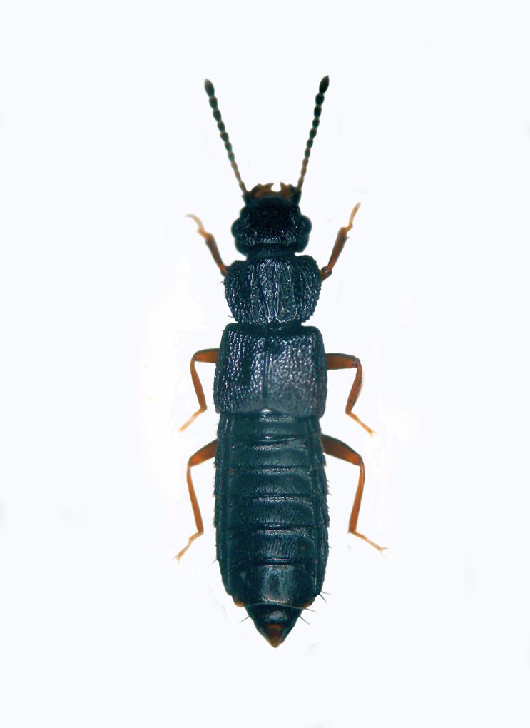
Anotylus rugosus (Fabricius, 1775) - Staphylinidae Oxytelinae Oxytelini

10.XII.2011 - ITALIA - Toscana - GR, Piandalma Castiglione della Pescaia Legit:Bastianini M.


nuovo argomento
rispondi
Pagina 1 di 1 [ 3 messaggi ]
Autore Messaggio
MessaggioInviato: 13/12/2011, 23:01 
Avatar utente

Iscritto il: 10/05/2010, 22:31
Messaggi: 4375
Località: Gavorrano (GR)
Nome: marco bastianini
Sotto corteccia di frassino.Dimensioni mm.5,2.
Piandalma Stafilino copia.jpg


_________________
:to: Marco
"Le foreste a precedere le civiltà, i deserti a seguire."
François-René de Chateaubriand


Top
profilo
 Oggetto del messaggio: Re: Staphylinidae
MessaggioInviato: 14/12/2011, 8:00 
Avatar utente

Iscritto il: 09/11/2009, 14:12
Messaggi: 5194
Località: Hradec Kralove,Czech republik
Nome: Jan Matějíček
Anotylus rugosus (Fabricius, 1775) - Staphylinidae - Oxytelinae - Oxytelini

_________________
Research Fields
Taxonomy, ecology, biomonitoring , faunistic of Staphylinidae


Top
profilo
 Oggetto del messaggio: Re: Staphylinidae
MessaggioInviato: 14/12/2011, 13:42 
Avatar utente

Iscritto il: 10/05/2010, 22:31
Messaggi: 4375
Località: Gavorrano (GR)
Nome: marco bastianini
Honza ha scritto:
Anotylus rugosus (Fabricius, 1775) - Staphylinidae - Oxytelinae - Oxytelini


Molte grazie Ian :ok:

_________________
:to: Marco
"Le foreste a precedere le civiltà, i deserti a seguire."
François-René de Chateaubriand


Top
profilo
Visualizza ultimi messaggi:  Ordina per  
nuovo argomento
rispondi
Pagina 1 di 1 [ 3 messaggi ]

Tutti gli orari sono UTC + 1 ora [ ora legale ]


Chi c’è in linea

Visitano il forum: Nessuno e 2 ospiti


Non puoi aprire nuovi argomenti
Non puoi rispondere negli argomenti
Non puoi modificare i tuoi messaggi
Non puoi cancellare i tuoi messaggi
Non puoi inviare allegati

Cerca per:
Vai a:  
cron