Benvenuto Ospite

Forum Entomologi Italiani

www.entomologiitaliani.net/forum
 
Oggi è 02/02/2026, 11:33

Tutti gli orari sono UTC + 1 ora [ ora legale ]

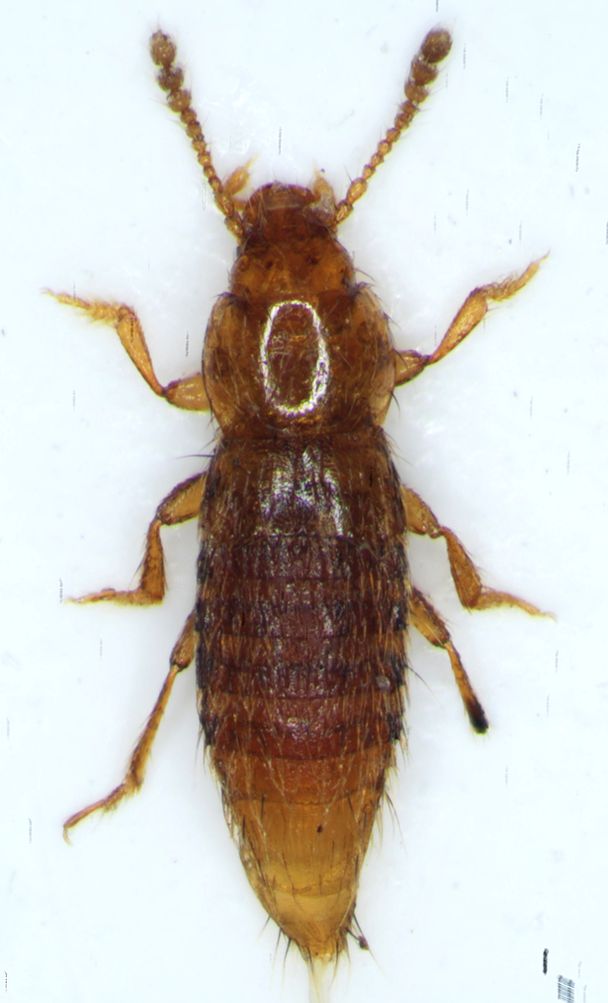
Phloeocharis ichnusae Dodero, 1900 - Staphylinidae Phloeocharinae

20.III.2012 - ITALIA - Sardegna - CA, dintorni di Armungia


nuovo argomento
rispondi
Pagina 1 di 1 [ 9 messaggi ]
Autore Messaggio
MessaggioInviato: 11/04/2012, 0:29 
Avatar utente

Iscritto il: 18/02/2009, 0:24
Messaggi: 3909
Località: Asciano (Siena)
Nome: Andrea Petrioli
Di questa bestiola ignoro totalmente il Genere (e spero di aver azzeccato la Famiglia 8-) :oops: 8-) ).

Anch'essa è il frutto dei pochi giorni passati in terra Sarda assieme agli amici Bastianini, Degiovanni, Magrini e Paladini.


Raccolta a vista sotto un tronchetto in forte decomposizione, all'interno di una piccola grotta del cagliaritano.

Lunghezza dell'esemplare al momento della "stesa" quasi 2 mm, adesso poco meno di 1,5 mm.


staf2.jpg


Phloeocharis.jpg


_________________
:hi:
______
Andrea


Top
profilo
 Oggetto del messaggio: Re: Stafilinide?
MessaggioInviato: 11/04/2012, 8:08 
Avatar utente

Iscritto il: 05/02/2009, 17:47
Messaggi: 7252
Località: Cagliari
Nome: Piero Leo
:) Ciao
Specie endemica di Sardegna, endogea e anoftalma, attualmente classificabile come Phloeocharis ichnusae Dodero, 1900 - Staphylinidae Phloeocharinae.

:) Ciao
Piero


Top
profilo
MessaggioInviato: 11/04/2012, 8:47 
Avatar utente

Iscritto il: 05/02/2009, 17:28
Messaggi: 3226
Nome: Marco Uliana
:o
Bellissimo!
Mai visto prima!


Top
profilo
MessaggioInviato: 11/04/2012, 8:49 
Avatar utente

Iscritto il: 05/02/2009, 17:25
Messaggi: 4894
Località: Zola Predosa (BO)
Nome: Loris Colacurcio
Splendida bestiola !
E' decisamente diverso da quello già presentato da Bastianini....è più depigmentato.
viewtopic.php?f=243&t=19034

:hi:

_________________
Loris


Top
profilo
MessaggioInviato: 11/04/2012, 9:23 
Avatar utente

Iscritto il: 18/02/2009, 0:24
Messaggi: 3909
Località: Asciano (Siena)
Nome: Andrea Petrioli
Grazie Piero :ok:

Loriscola ha scritto:
Splendida bestiola !
E' decisamente diverso da quello già presentato da Bastianini....è più depigmentato.

:hi:



....... :oops: non mi ricordavo di questa discussione :) ; per altro proviene dalla stessa località :D

_________________
:hi:
______
Andrea


Top
profilo
MessaggioInviato: 11/04/2012, 11:02 
Avatar utente

Iscritto il: 05/02/2009, 17:47
Messaggi: 7252
Località: Cagliari
Nome: Piero Leo
Loriscola ha scritto:
E' decisamente diverso da quello già presentato da Bastianini....è più depigmentato.
E' possibile che uno studio approfondito possa portare ad una suddivisione di questa specie in più taxa, però mi sembra difficile che gli esemplari postati da Marco e da Andrea siano differenti (visto che provengono dalla stessa località); più probabilmente si tratta di una illuminazione diversa e del fatto che uno abbia gli uriti più distesi e l'altro più contratti.
Un elenco delle località note è riportato in questo lavoro:
http://www.google.it/url?sa=t&rct=j&q=t ... gPrRzhdaSA

:) Ciao
Piero


Top
profilo
MessaggioInviato: 11/04/2012, 13:09 
Avatar utente

Iscritto il: 10/05/2010, 22:31
Messaggi: 4372
Località: Gavorrano (GR)
Nome: marco bastianini
Sicuramente è come dice Piero;lasciando perdere le mie foto approssimative, posso confermare che sotto il microscopio il mio esemplare presenta lo stesso grado di depigmentazione ed è pressocchè identico a quello di Andrea :hi:

_________________
:to: Marco
"Le foreste a precedere le civiltà, i deserti a seguire."
François-René de Chateaubriand


Top
profilo
MessaggioInviato: 11/04/2012, 17:01 
Avatar utente

Iscritto il: 30/12/2009, 22:20
Messaggi: 31564
Località: Roma
Nome: Maurizio Gigli
Ma le elitre ce le ha, anche se molto ridotte, a coprire solo meso e forse metatorace, o sono completamente scomparse? Non riesco a capirlo.

_________________
Maurizio Gigli
http://utenti.romascuola.net/bups
http://bup.xoom.it/


Top
profilo
MessaggioInviato: 11/04/2012, 19:00 
Avatar utente

Iscritto il: 18/02/2009, 0:24
Messaggi: 3909
Località: Asciano (Siena)
Nome: Andrea Petrioli
Le elitre le ha, sono molto ridotte e particolarmente diafane. Nella foto si vede (anche se male :oops: ) la loro fine pressoché in corrispondenza del margine inferiore dei femori mediani ;) .

_________________
:hi:
______
Andrea


Top
profilo
Visualizza ultimi messaggi:  Ordina per  
nuovo argomento
rispondi
Pagina 1 di 1 [ 9 messaggi ]

Tutti gli orari sono UTC + 1 ora [ ora legale ]


Chi c’è in linea

Visitano il forum: Nessuno e 1 ospite


Non puoi aprire nuovi argomenti
Non puoi rispondere negli argomenti
Non puoi modificare i tuoi messaggi
Non puoi cancellare i tuoi messaggi
Non puoi inviare allegati

Cerca per:
Vai a:  
cron