Benvenuto Ospite

Forum Entomologi Italiani

www.entomologiitaliani.net/forum
 
Oggi è 17/12/2025, 17:19

Tutti gli orari sono UTC + 1 ora [ ora legale ]

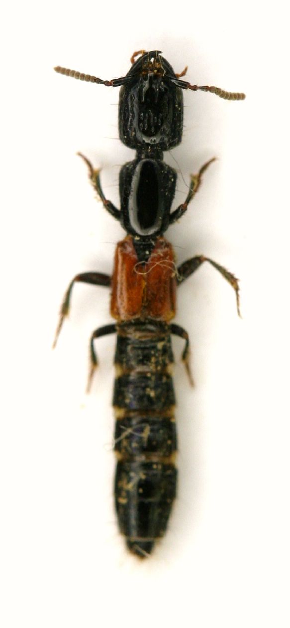
Gauropterus fulgidus (Fabricius, 1787) - Staphylinidae

16.VII.2005 - ITALIA - Emilia-Romagna - BO, Sasso Marconi, loc. Palazzo Rossi [det. Pilon]


nuovo argomento
rispondi
Pagina 1 di 1 [ 1 messaggio ]
Autore Messaggio
MessaggioInviato: 02/03/2012, 23:44 
Avatar utente

Iscritto il: 05/02/2009, 17:25
Messaggi: 4894
Località: Zola Predosa (BO)
Nome: Loris Colacurcio
Ieri sera ho aperto la scatola con gli stafilinidi, quelli determinati (una minoranza), unicamente presi a Palazzo Rossi....beh, ecco le foto di quelli più grandicelli, che ho immortalato con il mio artigianalissimo stativo.

Lunghezza: 12,40 mm. circa

Gauropterus fulgidus (Fabricius, 1787)  16.7.05 12.4mm pilon.JPG


_________________
Loris


Top
profilo
Visualizza ultimi messaggi:  Ordina per  
nuovo argomento
rispondi
Pagina 1 di 1 [ 1 messaggio ]

Tutti gli orari sono UTC + 1 ora [ ora legale ]


Chi c’è in linea

Visitano il forum: Nessuno e 1 ospite


Non puoi aprire nuovi argomenti
Non puoi rispondere negli argomenti
Non puoi modificare i tuoi messaggi
Non puoi cancellare i tuoi messaggi
Non puoi inviare allegati

Cerca per:
Vai a: