Forum Entomologi Italiani
https://www.entomologiitaliani.net/public/forum/phpBB3/

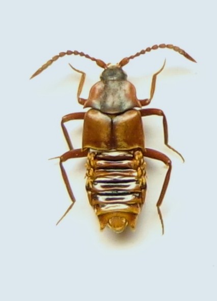
Lomechusa emarginata (Paykull, 1789) - Staphylinidae Aleocharinae Myrmedoniini
https://www.entomologiitaliani.net/public/forum/phpBB3/viewtopic.php?f=243&t=36877
Pagina 1 di 1

Autore:  Loriscola [ 30/07/2012, 23:35 ]
Oggetto del messaggio:  Lomechusa emarginata (Paykull, 1789) - Staphylinidae Aleocharinae Myrmedoniini

Una piccola grande sorpresa attirata dalle luci della mia lampada. Sempre che si tratti davvero di una Lomechusa, questi strani staphylinidi dovrebbero essere strettamente mirmecofili ed anzi si fanno addirittura imboccare dalle formiche, mentre quest'ultime suggono qualche sostanza zuccherina dalla copertura pelosa del loro addome.

Lunghezza: 5-6 mm.

159.JPG


169.JPG


Autore:  Daniele Maccapani [ 31/07/2012, 1:40 ]
Oggetto del messaggio:  Re: Lomechusa sp. - Staphylinidae

:o Affascinante!
Ma il ciclo vitale di questi insetti come si svolge: trascorrono tutta la vita in un formicaio riproducendovisi anche, o vivono all'esterno entrando di tanto in tanto in un formicaio per farsi nutrire?

:hi:

Autore:  Honza [ 31/07/2012, 7:20 ]
Oggetto del messaggio:  Re: Lomechusa sp. - Staphylinidae

Lomechusa emarginata (Paykull, 1789) Staphylinidae - Aleocharinae - Myrmedoniini

Allegati:
Lomechusa.jpg


Autore:  Daniele Sechi [ 31/07/2012, 9:31 ]
Oggetto del messaggio:  Re: Lomechusa emarginata (Paykull, 1789) - Staphylinidae Aleocharinae Myrmedoniini

Che meraviglia, Loris :shock:

Autore:  Loriscola [ 01/08/2012, 19:27 ]
Oggetto del messaggio:  Re: Lomechusa emarginata (Paykull, 1789) - Staphylinidae Aleocharinae Myrmedoniini

...l'unica cosa "affidabile" che ho trovato sulla Lomechusa è questo articolo, dove si vede la nostra bestiolina in formicaio.

Heteropterus_Rev_Entomol_8(2)_207-210.pdf [340.74 KiB]
Scaricato 210 volte



Grazie per la determinazione jan :ok:

:hi:

Autore:  Andricus [ 01/08/2012, 21:22 ]
Oggetto del messaggio:  Re: Lomechusa emarginata (Paykull, 1789) - Staphylinidae Aleocharinae Myrmedoniini

Questo è proprio strano :shock:

Autore:  gomphus [ 01/08/2012, 21:38 ]
Oggetto del messaggio:  Re: Lomechusa emarginata (Paykull, 1789) - Staphylinidae Aleocharinae Myrmedoniini

ciao ragazzi

le Lomechusa, come altri mirmecofili specializzati, trascorrono gran parte della loro vita nei formicai... ma dato che non risulta si formino nei medesimi per generazione spontanea :to: , a un certo punto viene il momento in cui, in un modo o nell'altro, qualche individuo deve abbandonare il "suo" formicaio per tentare di colonizzarne un altro

p.s. loris, il link non mi funziona :cry: ...

Autore:  Loriscola [ 01/08/2012, 22:17 ]
Oggetto del messaggio:  Re: Lomechusa emarginata (Paykull, 1789) - Staphylinidae Aleocharinae Myrmedoniini

Ora ho messo direttamente il pdf....così è leggibile ?

:hi:

Pagina 1 di 1 Tutti gli orari sono UTC + 1 ora [ ora legale ]
Powered by phpBB® Forum Software © phpBB Group
http://www.phpbb.com/