Benvenuto Ospite

Forum Entomologi Italiani

www.entomologiitaliani.net/forum
 
Oggi è 30/11/2025, 11:32

Tutti gli orari sono UTC + 1 ora [ ora legale ]

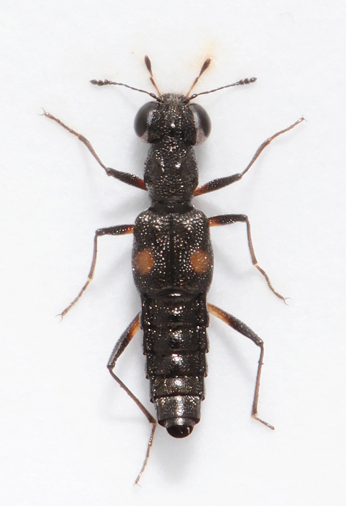
Stenus (Stenus) guttula Muller, 1821 (cf.) - Staphylinidae

29.VIII.2012 - ITALIA - Toscana - LI, Marciana (LI) - M.te Capanne 700m


nuovo argomento
rispondi
Pagina 1 di 1 [ 3 messaggi ]
Autore Messaggio
MessaggioInviato: 11/09/2012, 19:41 
Avatar utente

Iscritto il: 17/02/2009, 0:05
Messaggi: 8521
Località: Isola d'Elba - Arcipelago Toscano
Nome: Leonardo Forbicioni
Sembrerebbe questa specie.....ma con questi il "forse" è d'obbligo!
L'ho "pescato" mentre stavo cercando acquatici nell'unico torrentello dove era ancora presenta acqua in quel periodo!

Stenus guttula Muller 1821.jpg


_________________
"Stay hungry, stay foolish".
Steve Jobs, 2005
___________________
jjuniper8(at)gmail.com
Twitter: @weevil_forbix
cell. 339/5275910
___________________


Top
profilo
MessaggioInviato: 11/09/2012, 21:52 
Avatar utente

Iscritto il: 09/11/2009, 14:12
Messaggi: 5158
Località: Hradec Kralove,Czech republik
Nome: Jan Matějíček
Sì forse Stenus (s.str.) guttula Muller, 1821 femmina


guttula.jpg


_________________
Research Fields
Taxonomy, ecology, biomonitoring , faunistic of Staphylinidae
Top
profilo
MessaggioInviato: 12/09/2012, 3:54 
Avatar utente

Iscritto il: 17/02/2009, 0:05
Messaggi: 8521
Località: Isola d'Elba - Arcipelago Toscano
Nome: Leonardo Forbicioni
Grazie Jan!! :lov2:

_________________
"Stay hungry, stay foolish".
Steve Jobs, 2005
___________________
jjuniper8(at)gmail.com
Twitter: @weevil_forbix
cell. 339/5275910
___________________


Top
profilo
Visualizza ultimi messaggi:  Ordina per  
nuovo argomento
rispondi
Pagina 1 di 1 [ 3 messaggi ]

Tutti gli orari sono UTC + 1 ora [ ora legale ]


Chi c’è in linea

Visitano il forum: Nessuno e 2 ospiti


Non puoi aprire nuovi argomenti
Non puoi rispondere negli argomenti
Non puoi modificare i tuoi messaggi
Non puoi cancellare i tuoi messaggi
Non puoi inviare allegati

Cerca per:
Vai a: