Benvenuto Ospite

Forum Entomologi Italiani

www.entomologiitaliani.net/forum
 
Oggi è 29/01/2026, 17:28

Tutti gli orari sono UTC + 1 ora [ ora legale ]

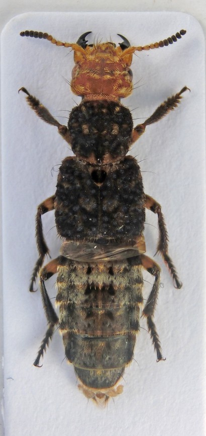
Dinothenarus flavocephalus (Goeze, 1777) - Staphylinidae

16.VI.2012 - ITALIA - Marche - MC, Matelica


nuovo argomento
rispondi
Pagina 1 di 1 [ 8 messaggi ]
Autore Messaggio
MessaggioInviato: 29/12/2012, 12:22 
Avatar utente

Iscritto il: 10/05/2009, 15:30
Messaggi: 7182
Località: Ancona
Nome: Giacomo Giovagnoli
Questa meraviglia l'ho trovata il 16.VI.2012 a in un pascolo a Matelica (Macerata) sui 650m.

Dinothenarus flavocephalus (Goeze, 1777).

Dimensioni: 18mm
CIMG0309.jpg


CIMG0308.jpg



Ciao :)

_________________
Immagine Giacomo


Top
profilo
MessaggioInviato: 29/12/2012, 17:11 
 

Iscritto il: 06/02/2009, 9:09
Messaggi: 530
Località: Milano
Nome: Nicola Pilon
bella e poco comune.
Nic


Top
profilo
MessaggioInviato: 15/04/2013, 21:00 
Avatar utente

Iscritto il: 10/05/2009, 15:30
Messaggi: 7182
Località: Ancona
Nome: Giacomo Giovagnoli
Aggiungo foto migliori! ;)

Grazie zio per le foto!!! :birra:

Comb0746_13cr.jpg


Comb0747_25cr.jpg


Comb0748_27cr.jpg


Comb0750_34cr.jpg


Comb0749_80cr.jpg


Comb0751_08cr.jpg



Ciao :)

_________________
Immagine Giacomo


Top
profilo
MessaggioInviato: 15/04/2013, 21:16 
Avatar utente

Iscritto il: 09/07/2011, 13:43
Messaggi: 2210
Località: Marmirolo (MN)
Nome: Maura Bocci
:o Foto sempre più belle!

Bell'acchiappo Giacomo, complimenti! :ok:

_________________
Maura
(Mitakuye oyasin)


Top
profilo
MessaggioInviato: 15/04/2013, 22:03 
Avatar utente

Iscritto il: 05/02/2009, 17:31
Messaggi: 9527
Località: milano
Nome: maurizio pavesi
almeno questo, non l'hai dimenticato a entomodena :to: :mrgreen: :lol1: ?

_________________
*****************
Immagine maurizio


Top
profilo
MessaggioInviato: 15/04/2013, 22:38 
Avatar utente

Iscritto il: 10/05/2009, 15:30
Messaggi: 7182
Località: Ancona
Nome: Giacomo Giovagnoli
Che figura!!! :oops: :no1:

_________________
Immagine Giacomo


Top
profilo
MessaggioInviato: 16/04/2013, 9:40 
Avatar utente

Iscritto il: 22/05/2009, 21:00
Messaggi: 2780
Località: Pergine Valsugana (TN)
Nome: Andrea Carlin
:birra: Complimenti Giacomo, bellissima (esteticamente parlando) specie! :shock: :shock: :shock:

:ok: Altrettanti complimenti allo zio per le ottime foto! :birra:

:hi: :hi: :hi:

_________________
Andrea Carlin, Pergine Valsugana (TN) carlin.andrea(AT)gmail.com

Nota: tutti gli esemplari inseriti nelle discussioni aperte da me sono da ritenere "Andrea Carlin legit" se non diversamente specificato.


Top
profilo
MessaggioInviato: 16/04/2013, 10:25 
Avatar utente

Iscritto il: 04/02/2009, 17:49
Messaggi: 5548
Località: Cagliari
Nome: Daniele Sechi
Che bella bestia! Giacomo quando vieni a casa mia a dimenticarti qualcosa? :lol:

_________________
:hi:
Daniele


Top
profilo
Visualizza ultimi messaggi:  Ordina per  
nuovo argomento
rispondi
Pagina 1 di 1 [ 8 messaggi ]

Tutti gli orari sono UTC + 1 ora [ ora legale ]


Chi c’è in linea

Visitano il forum: Nessuno e 2 ospiti


Non puoi aprire nuovi argomenti
Non puoi rispondere negli argomenti
Non puoi modificare i tuoi messaggi
Non puoi cancellare i tuoi messaggi
Non puoi inviare allegati

Cerca per:
Vai a: