Benvenuto Ospite

Forum Entomologi Italiani

www.entomologiitaliani.net/forum
 
Oggi è 23/03/2026, 12:42

Tutti gli orari sono UTC + 1 ora [ ora legale ]

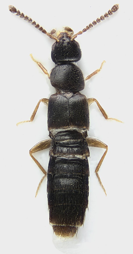
Amischa nigrofusca (Stephens, 1832) (cf.) - Staphylinidae

25.XI.2013 - ITALIA - Lazio - RM, Via di Settebagni


nuovo argomento
rispondi
Pagina 1 di 1 [ 4 messaggi ]
Autore Messaggio
MessaggioInviato: 10/01/2014, 22:56 
Avatar utente

Iscritto il: 30/12/2009, 22:20
Messaggi: 31564
Località: Roma
Nome: Maurizio Gigli
Ecco un altro Staphylinidae, sempre nel solito prato allagato, in mezzo ai detriti galleggianti. Con questo mi è scappata un po' troppa colla, e pure la foto mi è venuta una mezza schifezza. Pazienza.

Lazio, Roma, Via di Settebagni, 25.XI.2013, M. Gigli legit

2,3 mm
Staphylinidae_Settebagni_25-XI-2013_15_2,3mm_grey.jpg


_________________
Maurizio Gigli
http://utenti.romascuola.net/bups
http://bup.xoom.it/


Top
profilo
 Oggetto del messaggio: Re: Staphylinidae
MessaggioInviato: 11/01/2014, 0:46 
 

Iscritto il: 26/09/2011, 12:15
Messaggi: 351
Località: Germany
Nome: Lennart
Ciao Maurizio,

Direi Amischa sp.
:hi:


Top
profilo
 Oggetto del messaggio: Re: Staphylinidae
MessaggioInviato: 11/01/2014, 7:44 
Avatar utente

Iscritto il: 09/11/2009, 14:12
Messaggi: 5196
Località: Hradec Kralove,Czech republik
Nome: Jan Matějíček
Amischa nigrofusca (Stephens, 1832) cf.

:hi:


Amischa nigrofusca (Stephens, 1832).jpg


_________________
Research Fields
Taxonomy, ecology, biomonitoring , faunistic of Staphylinidae
Top
profilo
MessaggioInviato: 11/01/2014, 8:01 
Avatar utente

Iscritto il: 30/12/2009, 22:20
Messaggi: 31564
Località: Roma
Nome: Maurizio Gigli
Thank you very much.

_________________
Maurizio Gigli
http://utenti.romascuola.net/bups
http://bup.xoom.it/


Top
profilo
Visualizza ultimi messaggi:  Ordina per  
nuovo argomento
rispondi
Pagina 1 di 1 [ 4 messaggi ]

Tutti gli orari sono UTC + 1 ora [ ora legale ]


Chi c’è in linea

Visitano il forum: Nessuno e 1 ospite


Non puoi aprire nuovi argomenti
Non puoi rispondere negli argomenti
Non puoi modificare i tuoi messaggi
Non puoi cancellare i tuoi messaggi
Non puoi inviare allegati

Cerca per:
Vai a: