Benvenuto Ospite

Forum Entomologi Italiani

www.entomologiitaliani.net/forum
 
Oggi è 23/03/2026, 18:00

Tutti gli orari sono UTC + 1 ora [ ora legale ]

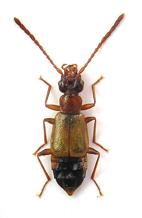
Anthophagus (Dimorphoschelus) bicornis (Block, 1799) - Staphylinidae

28.V.2013 - ITALIA - Abruzzo - AQ, Campo Imperatore, Fonte Vetica


nuovo argomento
rispondi
Pagina 1 di 1 [ 5 messaggi ]
Autore Messaggio
MessaggioInviato: 26/03/2014, 22:17 
Avatar utente

Iscritto il: 23/06/2010, 19:05
Messaggi: 2588
Località: Pescara
Nome: Alessio Morelli
A questi si uniscono "quelli" simili a cimici :D .

Trovato sotto una pietra. Forse Anthophagus sp. :roll:

5mm
Staphy 2.jpg



Top
profilo
 Oggetto del messaggio: Re: Staphylinidae 3 da ID
MessaggioInviato: 27/03/2014, 10:36 
Avatar utente

Iscritto il: 11/11/2009, 20:54
Messaggi: 4857
Località: Pesaro
Nome: Marco Paglialunga
Anthophagus bicornis (Block, 1799)

Determinazione facile come bersi un bicchier d'acqua :mrgreen: :mrgreen: :mrgreen:

Fagli una foto di profilo!

_________________
O voi ch'avete li 'ntelletti sani, mirate la dottrina che s'asconde sotto 'l velame de li versi strani
(InfeRRno - canto IX - vv. 61-63)


Top
profilo
 Oggetto del messaggio: Re: Staphylinidae 3 da ID
MessaggioInviato: 27/03/2014, 11:56 
Avatar utente

Iscritto il: 23/06/2010, 19:05
Messaggi: 2588
Località: Pescara
Nome: Alessio Morelli
Grazie Marco :lov2:
Solo non ho capito una cosa, la foto laterale serve per confermare la determinazione o è un di più?
Ad ogni modo ecco il profilo.

Super flattened :mrgreen:
Anthophagus - laterale.jpg


Anthophagus - laterale2.jpg



Top
profilo
 Oggetto del messaggio: Re: Staphylinidae 3 da ID
MessaggioInviato: 27/03/2014, 12:03 
Avatar utente

Iscritto il: 09/11/2009, 14:12
Messaggi: 5196
Località: Hradec Kralove,Czech republik
Nome: Jan Matějíček
Anthophagus (Dimorphoschelus) bicornis (Block, 1799)


Anthophagus (Dimorphoschelus) bicornis (Block, 1799).jpg


_________________
Research Fields
Taxonomy, ecology, biomonitoring , faunistic of Staphylinidae
Top
profilo
 Oggetto del messaggio: Re: Staphylinidae 3 da ID
MessaggioInviato: 27/03/2014, 12:14 
Avatar utente

Iscritto il: 23/06/2010, 19:05
Messaggi: 2588
Località: Pescara
Nome: Alessio Morelli
:ok: :birra:
then mine is female.


Top
profilo
Visualizza ultimi messaggi:  Ordina per  
nuovo argomento
rispondi
Pagina 1 di 1 [ 5 messaggi ]

Tutti gli orari sono UTC + 1 ora [ ora legale ]


Chi c’è in linea

Visitano il forum: Nessuno e 2 ospiti


Non puoi aprire nuovi argomenti
Non puoi rispondere negli argomenti
Non puoi modificare i tuoi messaggi
Non puoi cancellare i tuoi messaggi
Non puoi inviare allegati

Cerca per:
Vai a: