Benvenuto Ospite

Forum Entomologi Italiani

www.entomologiitaliani.net/forum
 
Oggi è 25/12/2025, 12:06

Tutti gli orari sono UTC + 1 ora [ ora legale ]

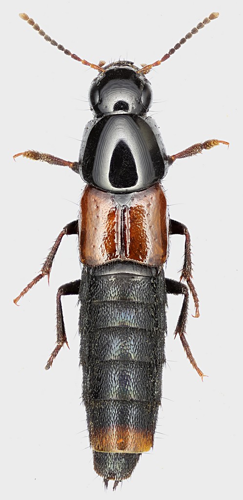
Astrapaeus ulmi (Rossi, 1790) - Staphylinidae - Staphylininae - Quediini

7.I.2015 - ITALIA - Lazio - RM, Ostia Antica


nuovo argomento
rispondi
Pagina 1 di 1 [ 3 messaggi ]
Autore Messaggio
MessaggioInviato: 20/01/2015, 10:14 
Avatar utente

Iscritto il: 30/12/2009, 22:20
Messaggi: 31564
Località: Roma
Nome: Maurizio Gigli
Mi sono dimenticato di aprirgli le mandibole, ma penso sia abbastanza caratteristico da poterlo identificare.

Lazio, Roma, Ostia Antica, 7.I.2015, M. Gigli legit

12,5 mm
Staphylinidae_Lazio_Roma_Ostia_Antica_7-I-2015_12,5mm_grey.jpg


_________________
Maurizio Gigli
http://utenti.romascuola.net/bups
http://bup.xoom.it/


Top
profilo
 Oggetto del messaggio: Re: Staphylinidae
MessaggioInviato: 20/01/2015, 10:35 
Avatar utente

Iscritto il: 09/11/2009, 14:12
Messaggi: 5167
Località: Hradec Kralove,Czech republik
Nome: Jan Matějíček
Astrapaeus ulmi (Rossi, 1790) - Staphylinidae - Staphylininae - Quediini

_________________
Research Fields
Taxonomy, ecology, biomonitoring , faunistic of Staphylinidae


Top
profilo
MessaggioInviato: 20/01/2015, 16:40 
Avatar utente

Iscritto il: 30/12/2009, 22:20
Messaggi: 31564
Località: Roma
Nome: Maurizio Gigli
Grazie Jan.

_________________
Maurizio Gigli
http://utenti.romascuola.net/bups
http://bup.xoom.it/


Top
profilo
Visualizza ultimi messaggi:  Ordina per  
nuovo argomento
rispondi
Pagina 1 di 1 [ 3 messaggi ]

Tutti gli orari sono UTC + 1 ora [ ora legale ]


Chi c’è in linea

Visitano il forum: Nessuno e 1 ospite


Non puoi aprire nuovi argomenti
Non puoi rispondere negli argomenti
Non puoi modificare i tuoi messaggi
Non puoi cancellare i tuoi messaggi
Non puoi inviare allegati

Cerca per:
Vai a: