Benvenuto Ospite

Forum Entomologi Italiani

www.entomologiitaliani.net/forum
 
Oggi è 23/03/2026, 15:22

Tutti gli orari sono UTC + 1 ora [ ora legale ]

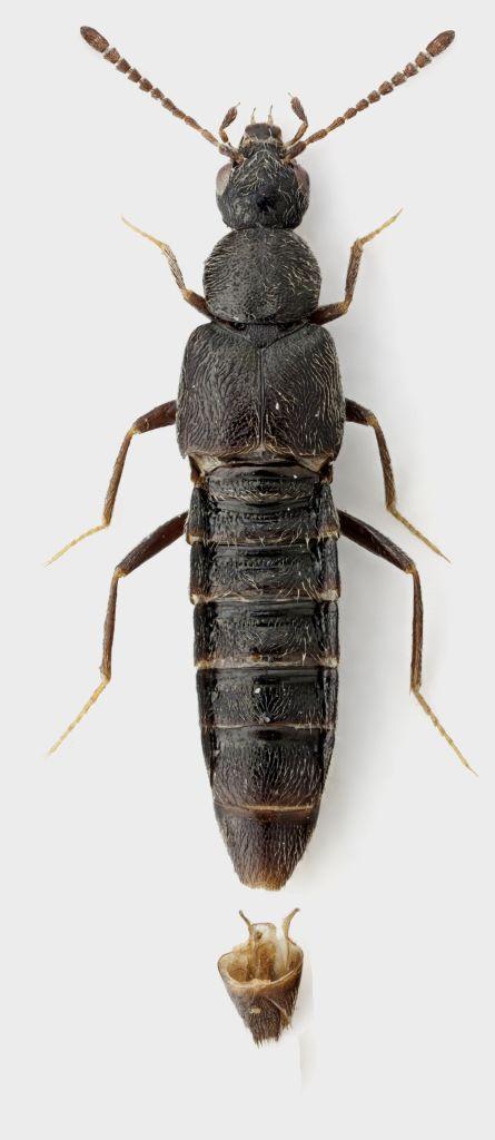
Euryalea occidentalis Assing & Wunderle, 1997 - Staphylinidae Aleocharinae

4.IV.2010 - ITALIA - Sardegna - OR, Siamanna


nuovo argomento
rispondi
Pagina 1 di 1 [ 1 messaggio ]
Autore Messaggio
MessaggioInviato: 01/05/2018, 10:02 
Avatar utente

Iscritto il: 09/11/2009, 14:12
Messaggi: 5196
Località: Hradec Kralove,Czech republik
Nome: Jan Matějíček
questo species nel mio materiale determinato da Adriano Zanetti, questa specie non è nell'elenco ufficiale di Staphylinidae Italia, nuova specie per la mia collezione :hp:

subtribe: Oxypodina Thomson, 1859
Euryalea occidentalis Assing & Wunderle, 1997

IT – Sardinia (OR),Siamanna 4.4.2010, Matějíček J.lgt.


No.7.jpg

Euryalea occidentalis Assing & Wunderle, 1997.JPG

Sardinia Siamanna.JPG

Sardinia Siamanna 2.JPG


_________________
Research Fields
Taxonomy, ecology, biomonitoring , faunistic of Staphylinidae
Top
profilo
Visualizza ultimi messaggi:  Ordina per  
nuovo argomento
rispondi
Pagina 1 di 1 [ 1 messaggio ]

Tutti gli orari sono UTC + 1 ora [ ora legale ]


Chi c’è in linea

Visitano il forum: Nessuno e 4 ospiti


Non puoi aprire nuovi argomenti
Non puoi rispondere negli argomenti
Non puoi modificare i tuoi messaggi
Non puoi cancellare i tuoi messaggi
Non puoi inviare allegati

Cerca per:
Vai a: