Benvenuto Ospite

Forum Entomologi Italiani

www.entomologiitaliani.net/forum
 
Oggi è 29/03/2026, 15:21

Tutti gli orari sono UTC + 1 ora [ ora legale ]

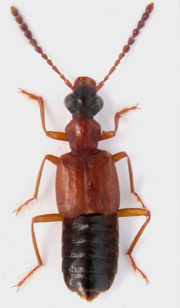
Deleaster dichrous Gravenhorst, 1802 - Staphylinidae

28.VI.2019 - MAROCCO - EE, Fès-Meknès, 10 km a S-E da Aïn Leuh, R. Rattu leg.


nuovo argomento
rispondi
Pagina 1 di 1 [ 3 messaggi ]
Autore Messaggio
MessaggioInviato: 05/08/2019, 19:57 
Avatar utente

Iscritto il: 02/09/2009, 20:57
Messaggi: 8703
Località: Cagliari
Nome: Roberto Rattu
Esemplare lungo 5 mm, raccolto alla lampada ultravioletta:

DSCN4076.JPG



Top
profilo
 Oggetto del messaggio: Re: Staphylinidae da id.
MessaggioInviato: 05/08/2019, 20:17 
Avatar utente

Iscritto il: 09/11/2009, 14:12
Messaggi: 5197
Località: Hradec Kralove,Czech republik
Nome: Jan Matějíček
subfamily: Oxytelinae Fleming, 1821
tribe: Deleasteriini Reitter, 1909
genus: Deleaster Erichson, 1839

dichrous Gravenhorst, 1802: 188 (Anthophagus) [NP] E: AL AR AU AZ BE BH BU BY CR CT CZ DE EN FI FR GB GE
GG GR HU IR IT LA LT MC MD NL NR NT PL RO SK SL SP ST SV SZ UK YU N: AG MO TU A: IN TM TR WS NARi
adustus Küster, 1846: 48
brassicae Scopoli, 1763: 102 (Staphylinus)
erichsoni Hochhuth, 1851: 57
leachii Curtis, 1830: pl. 303 (Lesteva)

_________________
Research Fields
Taxonomy, ecology, biomonitoring , faunistic of Staphylinidae


Top
profilo
 Oggetto del messaggio: Re: Staphylinidae da id.
MessaggioInviato: 05/08/2019, 22:01 
Avatar utente

Iscritto il: 02/09/2009, 20:57
Messaggi: 8703
Località: Cagliari
Nome: Roberto Rattu
Ciao, grazie :ok:

:hi:


Top
profilo
Visualizza ultimi messaggi:  Ordina per  
nuovo argomento
rispondi
Pagina 1 di 1 [ 3 messaggi ]

Tutti gli orari sono UTC + 1 ora [ ora legale ]


Chi c’è in linea

Visitano il forum: Nessuno e 1 ospite


Non puoi aprire nuovi argomenti
Non puoi rispondere negli argomenti
Non puoi modificare i tuoi messaggi
Non puoi cancellare i tuoi messaggi
Non puoi inviare allegati

Cerca per:
Vai a: