Benvenuto Ospite

Forum Entomologi Italiani

www.entomologiitaliani.net/forum
 
Oggi è 02/02/2026, 3:21

Tutti gli orari sono UTC + 1 ora [ ora legale ]

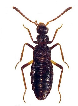
Drusilla gabonensis Pace, 2012 (cf) - Staphylinidae Aleocharinae Lomechusini Myrmedoniina - Gabon

XI.2019 - GABON - EE, Parc National des Monts de Cristal, Kinguélé, 19-30.XI.2019, legit D. Sechi


nuovo argomento
rispondi
Pagina 1 di 1 [ 15 messaggi ]
Autore Messaggio
MessaggioInviato: 06/10/2020, 7:17 
Avatar utente

Iscritto il: 04/02/2009, 17:49
Messaggi: 5548
Località: Cagliari
Nome: Daniele Sechi
Staph 8 RID.jpg


_________________
:hi:
Daniele


Top
profilo
 Oggetto del messaggio: Re: sp. 8 - Staphylinidae - Gabon
MessaggioInviato: 06/10/2020, 14:56 
 

Iscritto il: 02/11/2010, 22:33
Messaggi: 991
Nome: Aleksei Kovalev
?Drusilla - Lomechusini: Myrmedoniina
:hi:


Top
profilo
 Oggetto del messaggio: Re: sp. 8 - Staphylinidae - Gabon
MessaggioInviato: 06/10/2020, 15:56 
Avatar utente

Iscritto il: 04/02/2009, 17:49
Messaggi: 5548
Località: Cagliari
Nome: Daniele Sechi
AetherisIgnis ha scritto:
?Drusilla - Lomechusini: Myrmedoniina
:hi:

:birra:

_________________
:hi:
Daniele


Top
profilo
MessaggioInviato: 06/10/2020, 16:15 
Avatar utente

Iscritto il: 08/02/2010, 23:01
Messaggi: 6184
Località: Vicenza
Nome: Silvano Biondi
Esiste una Drusilla gabonensis Pace, 2012. Immagino che tu abbia il lavoro in cui è descritta.

:hi:

_________________



Silvano


Top
profilo
MessaggioInviato: 06/10/2020, 16:28 
Avatar utente

Iscritto il: 09/11/2009, 14:12
Messaggi: 5189
Località: Hradec Kralove,Czech republik
Nome: Jan Matějíček
:ok: Drusilla gabonensis Pace, 2012


Drusilla gabonensis Pace, 2012
pace1998(2).jpg


_________________
Research Fields
Taxonomy, ecology, biomonitoring , faunistic of Staphylinidae
Top
profilo
MessaggioInviato: 06/10/2020, 16:51 
Avatar utente

Iscritto il: 04/02/2009, 17:49
Messaggi: 5548
Località: Cagliari
Nome: Daniele Sechi
Mi pare un'altra specie...

_________________
:hi:
Daniele


Top
profilo
MessaggioInviato: 06/10/2020, 16:58 
Avatar utente

Iscritto il: 08/02/2010, 23:01
Messaggi: 6184
Località: Vicenza
Nome: Silvano Biondi
Hai confrontato il tuo esemplare con la descrizione originale?

:hi:

_________________



Silvano


Top
profilo
MessaggioInviato: 06/10/2020, 17:05 
Avatar utente

Iscritto il: 04/02/2009, 17:49
Messaggi: 5548
Località: Cagliari
Nome: Daniele Sechi
Apoderus ha scritto:
Hai confrontato il tuo esemplare con la descrizione originale?

:hi:

No con la foto che ha inserito Jan, la punteggiatura del pronoto è completamente diversa.

_________________
:hi:
Daniele


Top
profilo
MessaggioInviato: 06/10/2020, 17:06 
Avatar utente

Iscritto il: 09/11/2009, 14:12
Messaggi: 5189
Località: Hradec Kralove,Czech republik
Nome: Jan Matějíček
Pace, 2012: Aleocharinae from Gabon Coleoptera Staphylinidae


Pace, 2012 Aleocharinae from Gabon Coleoptera Staphylinidae.pdf [696.38 KiB]
Scaricato 94 volte

_________________
Research Fields
Taxonomy, ecology, biomonitoring , faunistic of Staphylinidae
Top
profilo
MessaggioInviato: 06/10/2020, 17:19 
 

Iscritto il: 02/11/2010, 22:33
Messaggi: 991
Nome: Aleksei Kovalev
I thought about this species too, but not sure this is the same. In this specimen tibiae are clearly curved, pronotal shape and sculpture seem different. Though, it could be just a sexual dimorphism (at least, pronotum in Drusilla is often sexually dimorphic)...
:hi:


Top
profilo
MessaggioInviato: 06/10/2020, 17:51 
Avatar utente

Iscritto il: 08/02/2010, 23:01
Messaggi: 6184
Località: Vicenza
Nome: Silvano Biondi
Pace confronta D. gabonensis unicamente con D. fissata della Tanzania, il che mi fa pensare che non ci siano specie simili più vicine. Se questa non fosse gabonensis si aprirebbero interessanti prospettive :lol:

:hi:

_________________



Silvano


Top
profilo
MessaggioInviato: 06/10/2020, 17:58 
Avatar utente

Iscritto il: 09/11/2009, 14:12
Messaggi: 5189
Località: Hradec Kralove,Czech republik
Nome: Jan Matějíček
Drusilla fissata (Bernhauer 1915)
Astilbus fissatus Bernhauer 1915
Bernhauer M. 1915. Zur Staphyliniden-Fauna des tropischen Afrika. Annales Musei Nationalis Hungarici 13: 95 - 189.


4153283178_6356bb2f2b_o.jpg

Kenya, Tsavo National Park
drusilla_fissata_1.jpg


_________________
Research Fields
Taxonomy, ecology, biomonitoring , faunistic of Staphylinidae
Top
profilo
MessaggioInviato: 06/10/2020, 18:35 
 

Iscritto il: 02/11/2010, 22:33
Messaggi: 991
Nome: Aleksei Kovalev
I would not say that this specimen fits well the description :|
:hi:


Top
profilo
MessaggioInviato: 06/10/2020, 18:47 
Avatar utente

Iscritto il: 09/11/2009, 14:12
Messaggi: 5189
Località: Hradec Kralove,Czech republik
Nome: Jan Matějíček
AetherisIgnis ha scritto:
I would not say that this specimen fits well the description :|
:hi:


Drusilla fissata Bernh.
Family: Staphylinidae
Size: 4.8 mm
Location: Kenya, Tsavo National Park, Kilaguni Lodge
leg U.Schmidt, 1991, det. R.Pace, 2007

_________________
Research Fields
Taxonomy, ecology, biomonitoring , faunistic of Staphylinidae


Top
profilo
MessaggioInviato: 06/10/2020, 19:01 
 

Iscritto il: 02/11/2010, 22:33
Messaggi: 991
Nome: Aleksei Kovalev
Okay, I'm silent :D


Top
profilo
Visualizza ultimi messaggi:  Ordina per  
nuovo argomento
rispondi
Pagina 1 di 1 [ 15 messaggi ]

Tutti gli orari sono UTC + 1 ora [ ora legale ]


Chi c’è in linea

Visitano il forum: Nessuno e 1 ospite


Non puoi aprire nuovi argomenti
Non puoi rispondere negli argomenti
Non puoi modificare i tuoi messaggi
Non puoi cancellare i tuoi messaggi
Non puoi inviare allegati

Cerca per:
Vai a:  
cron