Benvenuto Ospite

Forum Entomologi Italiani

www.entomologiitaliani.net/forum
 
Oggi è 11/02/2026, 20:39

Tutti gli orari sono UTC + 1 ora [ ora legale ]

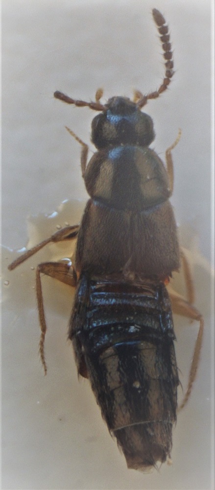
Atheta (Mocyta) fungi (Gravenhorst, 1806) cf. - Staphylinide

21.VII.2020 - ITALIA - Piemonte - TO, Coazze - Borgata Mattonera (1100 mt. ca.) - pit-fall trap (aceto)


nuovo argomento
rispondi
Pagina 1 di 1 [ 7 messaggi ]
Autore Messaggio
MessaggioInviato: 09/11/2020, 18:36 
 

Iscritto il: 12/03/2020, 14:28
Messaggi: 241
Nome: Antonio Simonis
Ciao a tutti.
Continuo con le richieste per questa famiglia davvero complicata:
Si tratti di Aleocarinae? Ecco la prima (mm. 2,5)
Grazie dell'aiuto.
Antonio


Atheta f.jpg

Top
profilo
 Oggetto del messaggio: Re: Staphylinide ?
MessaggioInviato: 12/11/2020, 12:59 
 

Iscritto il: 12/03/2020, 14:28
Messaggi: 241
Nome: Antonio Simonis
Sono riuscito a fare un paio di foto un poco meglio.
Eccole


Atheta - testa.jpg

Athe.jpg

Top
profilo
 Oggetto del messaggio: Re: Staphylinide ?
MessaggioInviato: 12/11/2020, 20:38 
 

Iscritto il: 02/11/2010, 22:33
Messaggi: 991
Nome: Aleksei Kovalev
Atheta (???Mocyta) sp. Have to dissect to tell more...
:hi:


Top
profilo
 Oggetto del messaggio: Re: Staphylinide ?
MessaggioInviato: 13/11/2020, 9:22 
 

Iscritto il: 12/03/2020, 14:28
Messaggi: 241
Nome: Antonio Simonis
Thanks Aleksei.
As soon as possible, I'll try to estract the genitalia.
Antonio


Top
profilo
MessaggioInviato: 23/11/2020, 22:33 
 

Iscritto il: 12/03/2020, 14:28
Messaggi: 241
Nome: Antonio Simonis
Ciao a tutti,
oggi ho fatto l'estrazione di questo ex.
Ecco la foto del receptaculum. Qualcuno riesce ad andare oltre nella determinazione?
Grazie
Antonio


Atheta receptaculum f.jpg

Top
profilo
MessaggioInviato: 24/11/2020, 4:27 
 

Iscritto il: 02/11/2010, 22:33
Messaggi: 991
Nome: Aleksei Kovalev
Yes, Mocyta... A difficult group, for now you could designate this one as Atheta (Mocyta) cf. fungi: https://www.kaefer-der-welt.de/atheta_fungi.htm ...perhaps someone can tell you more.
:hi:


Top
profilo
MessaggioInviato: 24/11/2020, 10:45 
 

Iscritto il: 12/03/2020, 14:28
Messaggi: 241
Nome: Antonio Simonis
Many thanks Aleksei


Top
profilo
Visualizza ultimi messaggi:  Ordina per  
nuovo argomento
rispondi
Pagina 1 di 1 [ 7 messaggi ]

Tutti gli orari sono UTC + 1 ora [ ora legale ]


Chi c’è in linea

Visitano il forum: Nessuno e 2 ospiti


Non puoi aprire nuovi argomenti
Non puoi rispondere negli argomenti
Non puoi modificare i tuoi messaggi
Non puoi cancellare i tuoi messaggi
Non puoi inviare allegati

Cerca per:
Vai a: