Benvenuto Ospite

Forum Entomologi Italiani

www.entomologiitaliani.net/forum
 
Oggi è 29/03/2026, 15:25

Tutti gli orari sono UTC + 1 ora [ ora legale ]

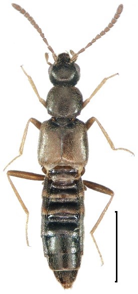
Ischnopoda ulbrichi Lohse, 1994 - Staphylinidae Aleocharinae

10.VII.2020 - ITALIA - Piemonte - TO, Moncalieri - presso il torrente Chisola


nuovo argomento
rispondi
Pagina 1 di 1 [ 9 messaggi ]
Autore Messaggio
MessaggioInviato: 13/11/2020, 18:01 
 

Iscritto il: 12/03/2020, 14:28
Messaggi: 241
Nome: Antonio Simonis
Ciao a tutti,
continuo la serie degli Staphilinidi raccolti a Luglio.
Questa è la penultima specie (mm 3.2)
Grazie per la consulenza
Antonio


Dinarea - pronoto.jpg

Dina.jpg

Top
profilo
 Oggetto del messaggio: Re: Staphylinide ?
MessaggioInviato: 24/11/2020, 19:33 
 

Iscritto il: 12/03/2020, 14:28
Messaggi: 241
Nome: Antonio Simonis
Ciao a tutti,
oggi ho fatto l'estrazione di questo ex.
Ecco la foto.
Si riesce ad andare oltre nella determinazione?
Grazie
Antonio


Boh 1 receptaculum.jpg

Top
profilo
 Oggetto del messaggio: Re: Staphylinide ?
MessaggioInviato: 24/11/2020, 23:28 
 

Iscritto il: 02/11/2010, 22:33
Messaggi: 991
Nome: Aleksei Kovalev
I can't make out whether there is a metallic tint on the integument :?


Top
profilo
 Oggetto del messaggio: Re: Staphylinide ?
MessaggioInviato: 25/11/2020, 16:26 
 

Iscritto il: 12/03/2020, 14:28
Messaggi: 241
Nome: Antonio Simonis
Hi Aleksei,
the firsts tergites and elithrae are dark brown; head, pronotum and last tergites black without metal reflects.
All the body is quite full covered by short yellow setae.
Thanks a lot.
Antonio


Top
profilo
 Oggetto del messaggio: Re: Staphylinide ?
MessaggioInviato: 25/11/2020, 21:45 
 

Iscritto il: 02/11/2010, 22:33
Messaggi: 991
Nome: Aleksei Kovalev
Only thing that comes to mind is Ischnopoda umbratica, but this species has a faint bronze tint :? viewtopic.php?f=243&t=93090
:hi:


Top
profilo
 Oggetto del messaggio: Re: Staphylinide ?
MessaggioInviato: 26/11/2020, 23:52 
 

Iscritto il: 12/03/2020, 14:28
Messaggi: 241
Nome: Antonio Simonis
Hi Aleksei.
Could it be a more darker form? Or some other Ischnopoda?
Unfortunately I collect this only female specimen...
The place was the same of the Tachyusa: sand bank full of lime at the confluence between a little river with a big one.
Last time (end of september) it was totally devoid of Coleoptera of any family (in July I collect a lot of interesting Carabidae, Staphylinidae and other)
Thansk a lot in any case.
I'll put it in my collection as Ischnopoda sp.
Antonio


Top
profilo
 Oggetto del messaggio: Re: Staphylinide ?
MessaggioInviato: 28/11/2020, 1:33 
 

Iscritto il: 02/11/2010, 22:33
Messaggi: 991
Nome: Aleksei Kovalev
Antonio, yes, members of Ischnopoda and Tachyusa are indeed waterside species. T. umbratica is quite common here on sandy river or stream banks with small amount of silt...
There aren't many choices for Ischnopoda in Italy:
colorata Fairmaire, 1860 (exarata auct.)
leucopus Marsham, 1802
scitula Erichson, 1837
ulbrichi Lohse, 1994
umbratica Erichson, 1837
http://www.danbiller.dk/key/genus/Ischnopoda
http://coleonet.de/coleo/texte/tachyusa.htm
:hi:


Top
profilo
 Oggetto del messaggio: Re: Staphylinide ?
MessaggioInviato: 28/11/2020, 9:30 
Avatar utente

Iscritto il: 09/11/2009, 14:12
Messaggi: 5197
Località: Hradec Kralove,Czech republik
Nome: Jan Matějíček
colorata Fairmaire, 1860 - 46
leucopus Marsham, 1802- 45


umbratica Erichson, 1837
umbratic.jpg

ulbrichi Lohse, 1994
ulbrichi.jpg

Euro _000135.jpg


_________________
Research Fields
Taxonomy, ecology, biomonitoring , faunistic of Staphylinidae
Top
profilo
 Oggetto del messaggio: Re: Staphylinide ?
MessaggioInviato: 28/11/2020, 14:25 
 

Iscritto il: 12/03/2020, 14:28
Messaggi: 241
Nome: Antonio Simonis
Hi Ian.
Thanks for yours indications. Be patient with me because in Staphylinidae I'm an absolute beginner!
Using your photo and the descrption in Kafer Europas key, now I'm quite sure it is a Ischnopoda ulbrichi and not umbratica. Overall by the shape of the pronotum and the Spermateca (made in S).
Have a nice day and thanks again.
Antonio


Top
profilo
Visualizza ultimi messaggi:  Ordina per  
nuovo argomento
rispondi
Pagina 1 di 1 [ 9 messaggi ]

Tutti gli orari sono UTC + 1 ora [ ora legale ]


Chi c’è in linea

Visitano il forum: Nessuno e 1 ospite


Non puoi aprire nuovi argomenti
Non puoi rispondere negli argomenti
Non puoi modificare i tuoi messaggi
Non puoi cancellare i tuoi messaggi
Non puoi inviare allegati

Cerca per:
Vai a: