Benvenuto Ospite

Forum Entomologi Italiani

www.entomologiitaliani.net/forum
 
Oggi è 17/12/2025, 5:18

Tutti gli orari sono UTC + 1 ora [ ora legale ]

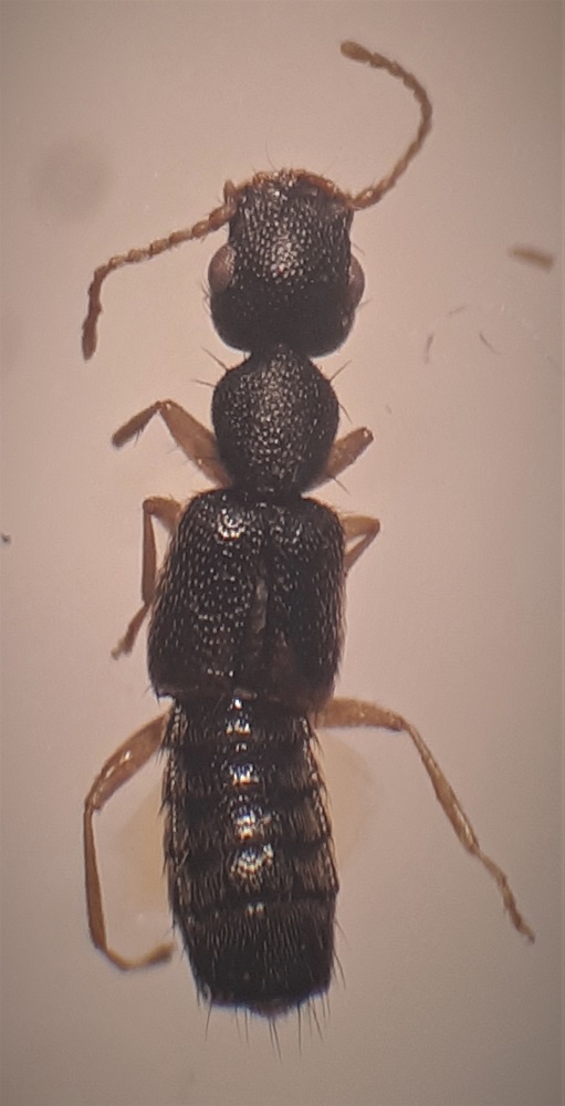
Astenus (Astenus) immaculatus Stephens, 1833 - Staphylinidae

15.I.2021 - ITALIA - Piemonte - TO, Pressi di Torino - castello di Stupinigi


nuovo argomento
rispondi
Pagina 1 di 1 [ 4 messaggi ]
Autore Messaggio
MessaggioInviato: 30/01/2021, 11:52 
 

Iscritto il: 12/03/2020, 14:28
Messaggi: 241
Nome: Antonio Simonis
Ciao tutti,
Questa esemplare (mm 3,2) mi mette in difficoltà. Credo si tratti di uno Staphylininae ma non sono riuscito ad andare oltre.
Raccolto in un unico esemplare da un pezzo di corteccia di un tronco caduto (isolato in un prato incolto) insieme a delle Anthelephila pedestris e una serie di Microlestes maurus. Non ho capito però se stava sotto la corteccia o nel muschio che la ricopriva.
Grazie a tutti
Antonio


Staph f.jpg

Top
profilo
 Oggetto del messaggio: Re: Staphylinidae '
MessaggioInviato: 30/01/2021, 12:22 
Avatar utente

Iscritto il: 09/11/2009, 14:12
Messaggi: 5167
Località: Hradec Kralove,Czech republik
Nome: Jan Matějíček
Astenus sp.
viewtopic.php?f=243&t=60840&hilit=Astenus

_________________
Research Fields
Taxonomy, ecology, biomonitoring , faunistic of Staphylinidae


Top
profilo
 Oggetto del messaggio: Re: Staphylinidae '
MessaggioInviato: 30/01/2021, 15:42 
 

Iscritto il: 12/03/2020, 14:28
Messaggi: 241
Nome: Antonio Simonis
Many thanks Jan!
Antonio


Top
profilo
 Oggetto del messaggio: Re: Staphylinidae '
MessaggioInviato: 31/01/2021, 10:21 
 

Iscritto il: 12/03/2020, 14:28
Messaggi: 241
Nome: Antonio Simonis
Ho controllato le chiavi ( http://coleonet.de/coleo/texte/astenus.htm#anKer6a) e, vista la colorazione delle elitre (tutte nere con solo un minimo bordino giallo) dovrebbe trattarsi di un Astenus (Astenus) immaculatus Stephens, 1833.
Grazie Ian.

Ho una domanda da fare e sarò grato a chiunque riesce a darmi una risposta:
io mi trovo sempre molto in difficoltà con gli Staphylinidae per capire se si tratta di un maschio o una femmina.
La variabilità dell'ultimo segmento addominale delle diverse sottofamiglie mi sembra altissima.
Quando si è alle prese con un genere mai visto prima e magari, come in questo caso, con un unico esemplare, come si fa? Cosa bisogna guardare?
Grazie a chi mi illumina. (E scusate se sembra una domanda stupida).
Antonio


Top
profilo
Visualizza ultimi messaggi:  Ordina per  
nuovo argomento
rispondi
Pagina 1 di 1 [ 4 messaggi ]

Tutti gli orari sono UTC + 1 ora [ ora legale ]


Chi c’è in linea

Visitano il forum: Nessuno e 2 ospiti


Non puoi aprire nuovi argomenti
Non puoi rispondere negli argomenti
Non puoi modificare i tuoi messaggi
Non puoi cancellare i tuoi messaggi
Non puoi inviare allegati

Cerca per:
Vai a:  
cron