Benvenuto Ospite

Forum Entomologi Italiani

www.entomologiitaliani.net/forum
 
Oggi è 10/02/2026, 13:33

Tutti gli orari sono UTC + 1 ora [ ora legale ]

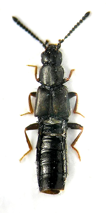
Atheta (Micronota) sp. (cf.) - Staphylinidae Aleocharinae

13.I.2016 - ITALIA - Abruzzo - PE, Pianella, 220, "Fosso Icavone"


nuovo argomento
rispondi
Pagina 1 di 1 [ 1 messaggio ]
Autore Messaggio
MessaggioInviato: 10/02/2016, 16:58 
Avatar utente

Iscritto il: 23/06/2010, 19:05
Messaggi: 2588
Località: Pescara
Nome: Alessio Morelli
Provo a spare :gun: Atheta (Micronota) sp., ma senza nessuna certezza... :sick:
Almeno la spermateca credo sia caratteristica.

Grazie :hi:

Raccolto a vista in un orto, nei pressi di un muro a secco.
Dimensioni: 4mm

Aleocharino 2.jpg


Aleocharino 2 pronoto.jpg


Spermateca (rotta :devil: )
Aleocharino 2 spermateca.JPG



Top
profilo
Visualizza ultimi messaggi:  Ordina per  
nuovo argomento
rispondi
Pagina 1 di 1 [ 1 messaggio ]

Tutti gli orari sono UTC + 1 ora [ ora legale ]


Chi c’è in linea

Visitano il forum: Nessuno e 1 ospite


Non puoi aprire nuovi argomenti
Non puoi rispondere negli argomenti
Non puoi modificare i tuoi messaggi
Non puoi cancellare i tuoi messaggi
Non puoi inviare allegati

Cerca per:
Vai a:  
cron