Benvenuto Ospite

Forum Entomologi Italiani

www.entomologiitaliani.net/forum
 
Oggi è 23/12/2025, 4:59

Tutti gli orari sono UTC + 1 ora [ ora legale ]

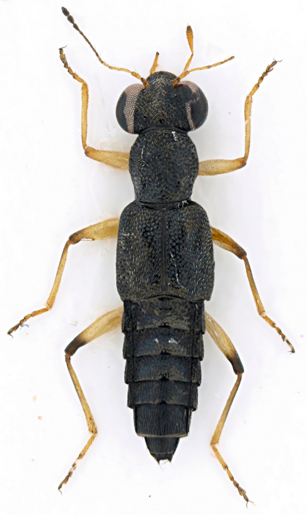
Staphylinidae - Lazio

12.II.2011 - ITALIA - Lazio - RM, Sant'Angelo Romano, Poggio Cesi


nuovo argomento
rispondi
Pagina 1 di 1 [ 3 messaggi ]
Autore Messaggio
 Oggetto del messaggio: Staphylinidae - Lazio
MessaggioInviato: 13/02/2011, 16:54 
Avatar utente

Iscritto il: 30/12/2009, 22:20
Messaggi: 31564
Località: Roma
Nome: Maurizio Gigli
Sto provando un nuovo sistema d'iilluminazione, per ora con risultati mediocri

Lazio, Roma, Sant'Angelo Romano, Poggio Cesi, 12.II.2011, M. Gigli legit
3,8 mm
Staphylinidae_Poggio_Cesi_12-II-2011_3,8mm.jpg


_________________
Maurizio Gigli
http://utenti.romascuola.net/bups
http://bup.xoom.it/


Top
profilo
 Oggetto del messaggio: Re: Staphylinidae - Lazio
MessaggioInviato: 13/02/2011, 18:28 
Avatar utente

Iscritto il: 16/02/2009, 23:39
Messaggi: 1368
Località: Mirano (Venezia)
Nome: Enrico Ruzzier
Staphylinidae Steninae (se la sistematica è ancora questa :lol:), genere Stenus;
di più non sò :to:

:hi:

_________________
«Discendiamo da scimmie evolute, non da angeli caduti» Robert Ardrey


Top
profilo
 Oggetto del messaggio: Re: Staphylinidae - Lazio
MessaggioInviato: 13/02/2011, 18:43 
Avatar utente

Iscritto il: 30/12/2009, 22:20
Messaggi: 31564
Località: Roma
Nome: Maurizio Gigli
Enrico Ruzzier ha scritto:
Staphylinidae Steninae (se la sistematica è ancora questa :lol:), genere Stenus;
di più non sò :to:

:hi:

Dal capoccione, lo penso anche io, ma gli Staphylinidi sono talmente tanti che non mi azzardo a dire nulla.

_________________
Maurizio Gigli
http://utenti.romascuola.net/bups
http://bup.xoom.it/


Top
profilo
Visualizza ultimi messaggi:  Ordina per  
nuovo argomento
rispondi
Pagina 1 di 1 [ 3 messaggi ]

Tutti gli orari sono UTC + 1 ora [ ora legale ]


Chi c’è in linea

Visitano il forum: Nessuno e 1 ospite


Non puoi aprire nuovi argomenti
Non puoi rispondere negli argomenti
Non puoi modificare i tuoi messaggi
Non puoi cancellare i tuoi messaggi
Non puoi inviare allegati

Cerca per:
Vai a:  
cron